REBEAUTY K-Beauty
Tìm kiếm
Đăng nhập
Đăng ký
Phòng khám
Danh mục
Xem tất cả
Phẫu thuật thẩm mỹ
Da liễu
Nhãn khoa
Nha khoa
Thủ thuật phổ biến
Phẫu thuật thẩm mỹ mắt
Nâng mũi
Nâng cơ
Nâng ngực
Hút mỡ
Phẫu thuật thẩm mỹ
Da liễu
Nhãn khoa
Nha khoa
Đánh giá
REAL
Trước/Sau
Sự kiện
HOT
YouTube
Tạp chí
NEW
Thẩm mỹ ảo
AI
REBEAUTY K-Beauty
Đăng nhập
Đăng ký mới
Phòng khám
Tất cả
Phẫu thuật thẩm mỹ
Da liễu
Nhãn khoa
Nha khoa
Nội dung
Đánh giá
T/S
Sự kiện
YouTube
Tạp chí
AI
Hỗ trợ
Câu hỏi thường gặp
Thông báo
Liên hệ
Đăng nhập MXH
Trước và Sau
Xem sự thay đổi thực tế trước và sau điều trị
Before
After
Phòng khám Phẫu thuật Thẩm mỹ ATOP
美容整形
Tái phẫu thuật mũi) Chức năng 1 loại + Sống mũi (thay silicon) + Đầu mũi (chỉnh sửa mũi tròn + phẫu thuật kéo dài mũi + sụn vách ngăn)
Before
After
Phòng khám Phẫu thuật Thẩm mỹ ATOP
美容整形
Tiêm filler môi + Botox khóe môi
Before
After
Phòng khám Phẫu thuật Thẩm mỹ ATOP
美容整形
Thu nhỏ trán
Before
After
Phòng khám Phẫu thuật Thẩm mỹ ATOP
美容整形
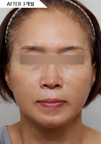
Hút mỡ mặt
Before
After
Phòng khám Phẫu thuật Thẩm mỹ ATOP
美容整形
Hút mỡ mặt + Nâng cơ tim + Nâng cơ bằng chỉ + Botox tuyến nước bọt/hàm
Before
After
Phòng khám Phẫu thuật Thẩm mỹ ATOP
美容整形
Hút mỡ mặt + Loại bỏ mỡ má + Nâng cơ bằng chỉ + Tiêm filler cằm + Botox cằm/da sần sùi
Before
After
Phòng khám Phẫu thuật Thẩm mỹ ATOP
美容整形
Hút mỡ bụng
Before
After
Phòng khám Phẫu thuật Thẩm mỹ ATOP
美容整形
Hút mỡ cánh tay
Before
After
Phòng khám Phẫu thuật Thẩm mỹ ATOP
美容整形
Hút mỡ cánh tay
Before
After
Phòng khám Phẫu thuật Thẩm mỹ ATOP
美容整形
Hút mỡ mặt
Before
After
Phòng khám Phẫu thuật Thẩm mỹ ATOP
美容整形
Hút mỡ mặt+Loại bỏ bọng má
Before
After
Phòng khám Phẫu thuật Thẩm mỹ ATOP
美容整形
Nâng cơ hàm bạnh+Nâng cơ cáo+Nâng cơ trái tim+Nâng cơ cổ+Cấy mỡ toàn mặt
86
87
88
89
90
Đang xem:
Trang chủ
Tìm kiếm
Yêu thích
Tin nhắn
Tôi
Phổ biến
Phẫu thuật
Da liễu
Nha khoa
Botox
Filler