REBEAUTY K-Beauty
Tìm kiếm
Đăng nhập
Đăng ký
Phòng khám
Danh mục
Xem tất cả
Phẫu thuật thẩm mỹ
Da liễu
Nhãn khoa
Nha khoa
Thủ thuật phổ biến
Hút mỡ
Nâng mũi
Phẫu thuật thẩm mỹ mắt
Nâng ngực
Đường nét khuôn mặt
Phẫu thuật thẩm mỹ
Da liễu
Nhãn khoa
Nha khoa
Đánh giá
REAL
Trước/Sau
YouTube
Tạp chí
NEW
Sự kiện
HOT
Thẩm mỹ ảo
AI
REBEAUTY K-Beauty
Đăng nhập
Đăng ký mới
Mô phỏng thẩm mỹ
Trải nghiệm thẩm mỹ
Phòng khám
Tất cả
Phẫu thuật thẩm mỹ
Da liễu
Nhãn khoa
Nha khoa
Nội dung
Đánh giá
T/S
YouTube
Tạp chí
Sự kiện
Hỗ trợ
Câu hỏi thường gặp
Thông báo
Liên hệ
Đăng nhập MXH
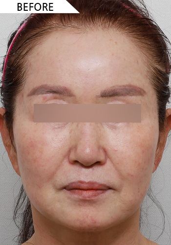
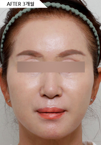
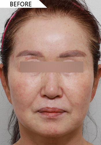
Trước và Sau
Lượt xem
Mới nhất
Xem sự thay đổi thực tế trước và sau điều trị
Tất cả thủ thuật
#Căngdatrán(Endotine) #Cắtmídưới
#cắt mí bán phần #mở góc mắt trong #mở góc mắt trên #lấy mỡ mí mắt trên #sống mũi (silicone) #đầu mũi (sụn tự thân) #thu gọn cánh mũi
#cắt_mí_bán_phần #cấy_mỡ_mí_mắt_trên
#cắt_mí_bán_phần #chỉnh_dáng_mắt
#cắt_mí_bán_phần #chỉnh_dáng_mắt #lấy_mỡ_mí_mắt_trên #mở_góc_mắt_trong #mở_góc_mắt_trên
#cắt_mí_bán_phần #chỉnh_dáng_mắt #mở_góc_mắt_trên
#cắt_mí_bán_phần #chỉnh_hình_dáng_mắt #cấy_mỡ_mí_mắt_trên
#cắt_mí_bán_phần #chỉnh_hình_dáng_mắt #lấy_mỡ_mí_mắt_trên #sống_mũi(silicone) #đầu_mũi(sụn_tự_thân) #chỉnh_sửa_mũi_gồ
#cắt_mí_bán_phần #chỉnh_hình_dáng_mắt #mở_góc_mắt_trên #mở_góc_mắt_trong
#cắt_mí_bán_phần #chỉnh_hình_dáng_mắt #mở_góc_mắt_trong #mở_góc_mắt_trên
#cắt_mí_bán_phần #chỉnh_hình_dáng_mắt #sống_mũi(silicone) #đầu_mũi(sụn_tự_thân) #chỉnh_mũi_to
#cắt_mí_bán_phần #chỉnh_hình_mắt #lấy_mỡ_mí_mắt_trên #thu_gọn_đầu_mũi_to
#cắt_mí_bán_phần #chỉnh_hình_mắt #lấy_mỡ_mí_trên
#cắt_mí_bán_phần #chỉnh_hình_mắt #lấy_mỡ_mí_trên #tái_cấu_trúc_mỡ_mí_dưới
#cắt_mí_bán_phần #chỉnh_hình_mắt #mở_góc_mắt_sau_dưới
#cắt_mí_bán_phần #chỉnh_hình_mắt #mở_góc_mắt_trên #lấy_mỡ_mí_mắt_trên
#cắt_mí_bán_phần #chỉnh_hình_mắt #mở_góc_mắt_trong
#cắt_mí_bán_phần #chỉnh_hình_mắt #mở_góc_mắt_trong #mở_góc_mắt_trên #lấy_mỡ_mí_mắt_trên
#cắt_mí_bán_phần #chỉnh_hình_mắt #sống_mũi(silicone) #đầu_mũi(sụn_tự_thân)
#Cắt_mí_bán_phần #Chỉnh_hình_mắt #Sống_mũi(silicone) #Đầu_mũi(sụn_tự_thân) #Chỉnh_sửa_mũi_ngắn(mũi_hếch)
#cắt_mí_bán_phần #chỉnh_hình_mắt #tái_phẫu_thuật_mũi #sống_mũi(silicone) #đầu_mũi(sụn_tự_thân) #chỉnh_sửa_mũi_ngắn(mũi_hếch)
#cắt_mí_bán_phần #lấy_mỡ_mí_mắt_trên
#cắt_mí_bán_phần #lấy_mỡ_mí_mắt_trên #chỉnh_hình_mắt
#cắt_mí_bán_phần #lấy_mỡ_mí_mắt_trên #chỉnh_sửa_mũi_to #chỉnh_mũi_gồ #sống_mũi(silicone) #đầu_mũi(sụn_tự_thân)
#cắt_mí_bán_phần #mở_góc_mắt_sau_dưới #chỉnh_hình_mắt
#cắt_mí_bán_phần #mở_góc_mắt_sau_và_dưới
#cắt_mí_bán_phần #mở_góc_mắt_trên
#cắt_mí_bán_phần #mở_góc_mắt_trên #cắt_mí_dưới
#cắt_mí_bán_phần #mở_góc_mắt_trên #cấy_mỡ_mí_mắt_trên
#cắt_mí_bán_phần #mở_góc_mắt_trên #chỉnh_hình_dáng_mắt
#cắt_mí_bán_phần #mở_góc_mắt_trên #chỉnh_hình_dáng_mắt #lấy_mỡ_mí_mắt_trên
#cắt_mí_bán_phần #mở_góc_mắt_trên #chỉnh_sửa_mũi_gồ
#cắt_mí_bán_phần #mở_góc_mắt_trên #chỉnh_sửa_mũi_to
#cắt_mí_bán_phần #mở_góc_mắt_trên #gỡ_dính
#cắt_mí_bán_phần #mở_góc_mắt_trên #lấy_mỡ_mí_mắt_trên #mở_góc_mắt_sau_dưới
#cắt_mí_bán_phần #mở_góc_mắt_trên #lấy_mỡ_mí_mắt_trên #sống_mũi(silicone) #đầu_mũi(sụn_tự_thân)
#cắt_mí_bán_phần #mở_góc_mắt_trên #lấy_mỡ_mí_mắt_trên #sống_mũi(silicone) #đầu_mũi(sụn_tự_thân) #chỉnh_sửa_mũi_gồ
#cắt_mí_bán_phần #mở_góc_mắt_trên #lấy_mỡ_mí_mắt_trên #tái_cấu_trúc_mỡ_mí_mắt_dưới
#cắt_mí_bán_phần #mở_góc_mắt_trên #mở_góc_mắt_ngoài_và_hạ_đuôi_mắt #lấy_mỡ_mí_mắt_trên #mở_góc_mắt_trong
#cắt_mí_bán_phần #mở_góc_mắt_trên #mở_góc_mắt_sau_dưới #gỡ_dính #tái_phẫu_thuật_mũi #sống_mũi(silicone) #đầu_mũi(sụn_tự_thân) #cấy_mỡ_mặt
#cắt_mí_bán_phần #mở_góc_mắt_trên #mở_góc_mắt_sau_dưới #lấy_mỡ_mí_mắt_trên #sống_mũi(silicone) #đầu_mũi(sụn_tự_thân) #cấy_mỡ_mặt
#cắt_mí_bán_phần #mở_góc_mắt_trên #mở_góc_mắt_trong
#cắt_mí_bán_phần #mở_góc_mắt_trên #mở_góc_mắt_trong #lấy_mỡ_mí_mắt_trên
#cắt_mí_bán_phần #mở_góc_mắt_trên #mở_góc_mắt_trong #lấy_mỡ_mí_mắt_trên #chỉnh_hình_mắt #chỉnh_sửa_mũi_ngắn_(mũi_hếch) #chỉnh_hình_mũi_to #sống_mũi_(silicone) #đầu_mũi_(sụn_tự_thân)
#cắt_mí_bán_phần #mở_góc_mắt_trên #mở_góc_mắt_trong #sống_mũi(silicone) #đầu_mũi(sụn_tự_thân)
#cắt_mí_bán_phần #mở_góc_mắt_trên #sống_mũi(silicone) #đầu_mũi(sụn_tự_thân)
#cắt_mí_bán_phần #mở_góc_mắt_trên #tái_cấu_trúc_mỡ_mí_dưới #cấy_mỡ_mí_trên
#cắt_mí_bán_phần #mở_góc_mắt_trên #tái_phẫu_thuật_mũi #sống_mũi(silicone) #đầu_mũi(sụn_tự_thân)
#cắt_mí_bán_phần #mở_góc_mắt_trong #lấy_mỡ_mí_mắt_trên
#cắt_mí_bán_phần #mở_góc_mắt_trong #lấy_mỡ_mí_mắt_trên #mở_góc_mắt_trên
#cắt_mí_bán_phần #mở_góc_mắt_trong #mở_góc_mắt_trên
#cắt_mí_bán_phần #mở_góc_mắt_trong #mở_góc_mắt_trên #chỉnh_hình_mắt #lấy_mỡ_mí_mắt_trên
#cắt_mí_bán_phần #mở_góc_mắt_trong #mở_góc_mắt_trên #lấy_mỡ_mí_mắt_trên
#cắt_mí_bán_phần #mở_góc_mắt_trong #mở_góc_mắt_trên #lấy_mỡ_mí_mắt_trên #sống_mũi(silicone) #đầu_mũi(sụn_tự_thân)
#cắt_mí_bán_phần #mở_góc_mắt_trong #mở_góc_mắt_trên #sống_mũi(silicone) #đầu_mũi(sụn_tự_thân) #chỉnh_sửa_mũi_gồ
#cắt_mí_bán_phần #mở_rộng_góc_mắt_sau_và_dưới #tái_cấu_trúc_mỡ_mí_dưới
#cắt_mí_bán_phần #mở_rộng_góc_mắt_trên #lấy_mỡ_mí_mắt_trên #chỉnh_hình_mắt
#cắt_mí_bán_phần #mở_rộng_góc_mắt_trên #mở_rộng_góc_mắt_ngoài_và_hạ_mi_dưới #lấy_mỡ_mí_mắt_trên
#cắt_mí_bán_phần #mở_rộng_góc_mắt_trên #mở_rộng_góc_mắt_sau_và_dưới #tái_phẫu_thuật_mũi #sống_mũi(silicone)
#cắt_mí_bán_phần #mở_rộng_góc_mắt_trên #tái_phẫu_thuật_mũi #sống_mũi(silicone) #đầu_mũi(sụn_tự_thân) #nâng_mũi_sụn_sườn_tự_thân #chỉnh_hình_mũi_gồ
#cắt_mí_bán_phần #tái_định_vị_mỡ_mí_dưới
#cắt_mí_toàn_phần #cấy_mỡ_mí_trên #tái_cấu_trúc_mỡ_mí_dưới
#cắt_mí_toàn_phần #chỉnh_hình_dáng_mắt
#Cắt_mí_toàn_phần #Chỉnh_hình_mắt #Cấy_mỡ_mí_mắt_trên
#cắt_mí_toàn_phần #chỉnh_hình_mắt #mở_góc_mắt_sau_dưới
#cắt_mí_toàn_phần #chỉnh_hình_mắt #mở_góc_mắt_trên #lấy_mỡ_mí_trên #tái_cấu_trúc_mỡ_mí_dưới
#cắt_mí_toàn_phần #lấy_mỡ_mí_mắt_trên
#cắt_mí_toàn_phần #mở_góc_mắt_sau_và_dưới #cấy_mỡ_mí_mắt_trên #điều_chỉnh_dáng_mắt
#cắt_mí_toàn_phần #mở_góc_mắt_trên
#cắt_mí_toàn_phần #mở_góc_mắt_trên #cấy_mỡ_mí_mắt_trên
#cắt_mí_toàn_phần #mở_góc_mắt_trên #chỉnh_hình_mắt
#cắt_mí_toàn_phần #mở_góc_mắt_trên #chỉnh_hình_mắt #lấy_mỡ_mí_mắt_trên
#cắt_mí_toàn_phần #mở_góc_mắt_trên #gỡ_dính
#cắt_mí_toàn_phần #mở_góc_mắt_trên #lấy_mỡ_mí_mắt_trên #mở_góc_mắt_ngoài_và_hạ_xếch #tái_cấu_trúc_mỡ_mí_mắt_dưới
#cắt_mí_toàn_phần #mở_góc_mắt_trên #mở_góc_mắt_sau_dưới
#cắt_mí_toàn_phần #mở_góc_mắt_trên #mở_góc_mắt_trong #sống_mũi(silicone) #đầu_mũi(sụn_tự_thân) #chỉnh_sửa_mũi_gồ
#cắtmíbánphần
#CắtMíBánPhần #ChỉnhHìnhMắt #TáiCấuTrúcMỡMíDưới
#cắtmíbánphần #lấymỡmímắttrên #mởgócmắtsaudưới
#cắtmíbánphần #mởgócmắttrên #lấymỡmímắttrên
#cắtmíbánphần #mởgócmắttrên #mởgócmắtsaudưới
#cắtmídưới #cắtmítrên
#cắtmídưới #cấymỡmímắttrên
#CắtMíToànPhần
#cắtmítoànphần #cấymỡmímắttrên
#cắtmítrên #cấymỡmítrên
#Cấy mỡ mặt
#Cấy mỡ mặt #Sống mũi (silicone) #Đầu mũi (sụn tự thân) #Nâng mũi sụn sườn tự thân
#Chỉnh sửa mũi gồ #Chỉnh sửa mũi lân #Thu gọn cánh mũi
#chỉnh_hình_mắt #tái_cấu_trúc_mỡ_mí_dưới
#ChỉnhHìnhMắt
#không_phẫu_thuật (nhấn_mí) #chỉnh_hình_dáng_mắt
#không_phẫu_thuật (nhấn_mí) #tái_cấu_trúc_mỡ_bọng_mắt
#Mí_mắt_trên
#mídưới
#mídưới #cấymỡmắttrên #cấymỡmặt
#mímắttrên #mímắtdưới
#mở_rộng_góc_mắt_trên #nhấn_mí_không_rạch
#Mởgócmắtsauhạđuôimắt
#MởGócMắtSauHạXếch #TáiCấuTrúcMỡMíDưới
#mởrộnggócmắttrên
#mởrộnggócmắttrên #cắtmíbánphần #chỉnhhìnhmắt #lấymỡmímắttrên
#MởRộngGócMắtTrên #LấyMỡMíMắtTrên #MởRộngGócMắtSauHạXếch #CắtMíMắtTrên
#nângngực
#NângTrán(Endotine)
#Nângtrán(Endotine) #Mởgócmắtngoàivàdưới
#Nângtrán(Endotine) #Mởrộnggócmắtsaudưới #Táiđịnhvịmỡmídưới
#Nhấn mí (không phẫu thuật) #Mở rộng góc mắt trong
#Nhấn mí (không rạch)
#nhấn_mí (không phẫu thuật) #chỉnh_hình_mắt #sống_mũi (silicone) #đầu_mũi (sụn tự thân)
#nhấn_mí (luồn chỉ) #mở_góc_mắt_trên #mở_góc_mắt_trong #lấy_mỡ_mí_mắt_trên
#nhấn_mí #mở_góc_mắt_trên #tái_cấu_trúc_mỡ_mắt_dưới
#Nhấn_mí_(luồn_chỉ) #Mở_rộng_góc_mắt_trên
#nhấn_mí_không_phẫu_thuật #cấy_mỡ_mí_mắt_trên
#Nhấn_mí_không_phẫu_thuật #Mở_góc_mắt_ngoài_và_hạ_đuôi_mắt #Tái_cấu_trúc_mỡ_mí_dưới
#nhấn_mí_không_phẫu_thuật #mở_góc_mắt_sau_dưới
#nhấn_mí_không_phẫu_thuật #mở_góc_mắt_trên #mở_góc_mắt_sau_và_dưới
#phẫu_thuật_mí_dưới #căng_da_trán(Endotine)
#phẫuthuậtmídưới #lấymỡmímắttrên
#phẫuthuậtmímắttrên #mởrộnggócmắttrên
#phẫuthuậtmímắttrên #phẫuthuậtmímắtdưới #lấymỡmímắttrên
#rạch_bán_phần #nâng_mũi_không_sụn_nhân_tạo #chỉnh_sửa_mũi_gồ #đầu_mũi(sụn_tự_thân)
#Sống mũi (silicone) #Đầu mũi (sụn tự thân)
#Sống mũi (silicone) #Đầu mũi (sụn tự thân) #Nâng mũi sụn sườn tự thân #Chỉnh sửa mũi lân #Thu gọn cánh mũi
#Sống mũi (silicone) #Đầu mũi (sụn tự thân) #Thu gọn cánh mũi
#Sống mũi (silicone) #Đầu mũi (sụn tự thân) #Thu gọn cánh mũi #Chỉnh sửa mũi lân
#táidịnhvịmỡbọngmắt #mởrộnggócmắtsaudưới
#TáiĐịnhVịMỡBọngMắt
#TáiSắpXếpMỡDướiMắt #CấyMỡMặt
#Thu gọn cánh mũi
+ Căng da mặt mini + Botox
+ Cấy mỡ toàn mặt
+ Cấy mỡ tự thân toàn mặt + Botox + AccuSculpt
+ Chương trình làm trắng
+ Hút mỡ DA
+ Phẫu thuật tạo hình khuôn mặt [3 vùng] + Cấy mỡ toàn mặt
+ Tái phẫu thuật đường nét khuôn mặt + Phẫu thuật tạo hình đường nét khuôn mặt [Gò má + Trượt cằm]
+ Tái phẫu thuật đường nét khuôn mặt + Phẫu thuật tạo hình khuôn mặt Shaping [Gò má]
+ Tạo hình đường nét khuôn mặt [Combo 3 vùng] + AccuSculpt
+ Tạo hình đường nét khuôn mặt [Gò má] + AccuSculpt
+ Tạo hình khuôn mặt Shaping [Gò má]
+ Tạo hình khuôn mặt Shaping + Gọt mặt 3 vùng
+Nâng cơ định hình khuôn mặt (Accu) + Phẫu thuật tạo hình khuôn mặt bằng chất độn
Accu (đường viền hàm, nọng cằm)
Accu (đường viền hàm, nọng cằm) + căng chỉ Mint
Accu (đường viền hàm, nọng cằm) + Căng da V-line phẫu thuật + Căng chỉ Mint
Accu (đường viền hàm, nọng cằm) + Elasticum
Accu (đường viền hàm)
Accu (má)
Accu (má) + Căng da V-lifting phẫu thuật + SMAS
Accu (nọng cằm, đường viền hàm)
Accu (nọng cằm, đường viền hàm) + Nâng cơ đường viền hàm V-line + Căng chỉ Mint
Accusculpt
AccuSculpt (hiện là Venus Laser) (đường viền hàm)
AccuSculpt (hiện tại là Venus Laser)
AccuSculpt (hiện tại là Venus Laser) (đường viền hàm) + Botox (hàm)
Accusculpt (má, đường viền hàm) + căng chỉ Mint
AccuSculpt (nọng cằm, đường viền hàm)
Ảnh selfie nụ cười không chỉnh nha của mình: Phẫu thuật hàm đôi + Gọt mặt 3 vùng + Chỉnh hình mắt không cắt + Nâng mũi + Căng da mặt mini
Bị vùi lấp
Botox bắp chân
Botox cơ cầu vai
Botox filler
Botox gọn hàm, filler cằm lẹm, nâng cung chân mày
Botox tuyến nước bọt
Căng chỉ
Căng chỉ Jamber
Căng chỉ Mint
Căng chỉ Mint + Accu (đường viền hàm, nọng cằm)
Căng chỉ Mint + Accu (đường viền hàm)
Căng chỉ Mint + Mini lifting (SMAS)
Căng chỉ PCL, filler môi
Căng chỉ, căng chỉ mũi
Căng da cổ
Căng da mặt
Căng da mặt (phẫu thuật lại), căng da trán, lấy mỡ má sâu, khâu cơ dưới cằm...
Căng da mặt + Accu-lifting (vùng trên rãnh cười, đường viền hàm) + Cấy mỡ (rãnh cười, dưới mắt)
Căng da mặt + Accusculpt
Căng da mặt + căng da cổ
Căng da mặt + Căng da cổ + Cắt mí dưới
Căng da mặt + Căng da cổ + Cắt mí trên + Nâng mũi + Accu lifting + Cấy mỡ tự thân
Căng da mặt + cấy mỡ
Căng da mặt + Cấy mỡ rãnh cười + Accu (mỡ má phệ)
Căng da mặt + Hàm hô + Thu gọn nhân trung
Căng da mặt giữa + AccuSculpt
Căng da mặt giữa + AccuSculpt + Cấy mỡ
Căng da mặt MACS (Phẫu thuật căng da mặt) + Cấy mỡ tự thân
Căng da mặt mini
Căng da mặt mini (SMAS)
Căng da mặt mini (SMAS) + Căng chỉ Mint
Căng da mặt mini + AccuSculpt
Căng da mặt mini + Căng chỉ Mint
Căng da mặt mini + Căng chỉ Mint + Nâng cơ đường viền hàm V-line
Căng da mặt mini + Căng da Accu
Căng da mặt mini + Nâng cơ V-line + Căng chỉ Mint
Căng da mặt SMAS đường mổ tối thiểu
Căng da mặt toàn phần
Căng da mặt toàn phần + căng da cổ
Căng da mặt toàn phần + Căng da cổ + Accu lifting
Căng da mặt toàn phần + cấy mỡ
Căng da mặt toàn phần + Phẫu thuật mí dưới
Căng da mặt toàn phần + Phẫu thuật mí mắt dưới
Căng da mặt toàn phần, căng da trán, hạ gò má, gọt hàm đường cắt dài, gọt xương vỏ, thu nhỏ cằm, trượt cằm.
Căng da mặt toàn phần, căng da trán.
Căng da mặt toàn phần, gọt hàm
Căng da mặt toàn phần, phẫu thuật hạ gò má, phẫu thuật thu nhỏ cằm.
Căng da mặt V-line (SMAS) + Căng da mặt mini (SMAS) + AccuSculpt (đường viền hàm)
Căng da mặt, cắt mí dưới, cấy mỡ (vùng dưới mắt)
Căng da mặt, cấy mỡ hốc mắt, cấy mỡ rãnh cười
Căng da mặt, nâng cung chân mày, phẫu thuật mí dưới, cấy mỡ toàn mặt (bao gồm vùng trên và dưới mắt)
Căng da mặt, thu gọn hàm vuông, phẫu thuật mí mắt trên, phẫu thuật mí mắt dưới, căng da trán
Căng da trán (Bone tunneling)
Căng da trán Endotine
Căng da trán nội soi
Căng da trán, nhấn mí tự nhiên, tái cấu trúc mỡ bọng mắt
Cắt mí
Cắt mí (3 lần, cắt bỏ), chỉnh hình mắt, lấy mỡ ROOF, hạ đường mí...
Cắt mí (bán phần)
Cắt mí (bán phần), mở rộng góc mắt trong.
Cắt mí (bán phần), nâng trán (Endotine)
Cắt mí (cắt bỏ, 3 lần), chỉnh hình mắt, mở lại góc mắt về vị trí cũ, hạ đường mí...
Cắt mí (cắt bỏ, 3 lần), hạ đường mí
Cắt mí (cắt bỏ, 4 lần), chỉnh hình mắt, phục hồi mở rộng góc mắt sau, mở rộng góc mắt dưới (phẫu thuật lại)...
Cắt mí (cắt bỏ, phẫu thuật lại) + Mở rộng góc mắt trong + Hạ đường mí
Cắt mí (cắt bỏ, phẫu thuật lại), chỉnh hình mắt, hạ đường mí.
Cắt mí (cắt bỏ, phẫu thuật lại), chỉnh hình mắt, phục hồi khóe mắt trong, mở rộng góc mắt 2 vùng (mở rộng khóe mắt ngoài, hạ đuôi mắt), hạ đường mí...
Cắt mí (cắt bỏ, tái phẫu thuật 3 lần), chỉnh hình mắt, hạ đường mí.
Cắt mí (cắt bỏ, tái phẫu thuật lần 4), chỉnh hình mắt, mở rộng góc mắt 2 loại (mở góc mắt trong, hạ đuôi mắt), hạ đường mí...
Cắt mí (cắt bỏ), chỉnh cơ nâng mi, mở rộng góc mắt trong (phẫu thuật lại), hạ đường mí...
Cắt mí (cắt bỏ), chỉnh hình mắt, hạ đường mí.
Cắt mí (cắt bỏ), chỉnh hình mắt, lấy mỡ ROOF, hạ đường mí...
Cắt mí (cắt bỏ), chỉnh hình mắt, mở rộng góc mắt dưới GL (mở rộng góc mắt ngoài, hạ đuôi mắt)...
Cắt mí (cắt bỏ), điều chỉnh cơ nâng mi, mở rộng góc mắt trên, hạ đường mí.
Cắt mí (chỉnh hình mắt), mở rộng góc mắt trong
Cắt mí (chỉnh sửa mắt trũng - tái phẫu thuật), cấy mỡ mí mắt trên, điều chỉnh cơ nâng mi.
Cắt mí (Chỉnh sửa mí mắt xúc xích)
Cắt mí (hạ đường mí), chỉnh hình sụp mí, phục hồi góc mắt trong.
Cắt mí (hạ đường mí), hạ thấp đường mí
Cắt mí (kỹ thuật hạ mí mắt, phẫu thuật lại lần 4), phẫu thuật hạ cơ nâng mi (phục hồi tình trạng chỉnh sửa quá mức), hạ thấp đường mí...
Cắt mí (kỹ thuật hai đường mổ, phẫu thuật lại), chỉnh hình mắt, hạ đường mí.
Cắt mí (lại) + Hạ nhãn kiểm
Cắt mí (lại), cấy mỡ mí mắt trên
Cắt mí (lại), chỉnh hình mắt, cấy mỡ mí mắt trên.
Cắt mí (làm lại), chỉnh hình mắt, mở góc mắt.
Cắt mí (lấy mỡ), chỉnh hình mắt
Cắt mí (phẫu thuật lại - hạ đường mí), chỉnh hình dáng mắt
Cắt mí (phẫu thuật lại - hạ thấp đường mí), chỉnh hình sụp mí, tái định vị mỡ dưới mắt.
Cắt mí (phẫu thuật lại 3 lần), hạ đường mí.
Cắt mí (phẫu thuật lại hạ đường mí), chỉnh hình mắt
Cắt mí (Phẫu thuật lại_Hạ đường mí, Kỹ thuật hạ mí mắt)
Cắt mí (phẫu thuật lại_hạ đường mí)
Cắt mí (phẫu thuật lại, kỹ thuật hạ đường mí cũ), chỉnh hình mắt, hạ đường mí.
Cắt mí (phẫu thuật lại), chỉnh hình mắt
Cắt mí (phẫu thuật lại), chỉnh hình mắt, mở góc mắt 2 vùng (mở góc mắt sau, hạ đuôi mắt)...
Cắt mí (phẫu thuật lại), chỉnh hình mắt, mở góc mắt trong, lấy mỡ ROOF.
Cắt mí (phẫu thuật lại), chỉnh hình mắt, mở rộng đuôi mắt
Cắt mí (phẫu thuật lại), chỉnh hình mắt, mở rộng góc mắt 2 vùng (mở rộng góc mắt trong, mở rộng góc mắt trên)...
Cắt mí (phẫu thuật lại), chỉnh hình mắt, mở rộng góc mắt trên, mở rộng và hạ đuôi mắt.
Cắt mí (phẫu thuật lại), chỉnh hình mắt, mở rộng góc mắt trong (phẫu thuật lại)
Cắt mí (phẫu thuật lại), chỉnh hình mắt, mở rộng góc mắt trong, quặm mi, lấy mỡ ROOF...
Cắt mí (phẫu thuật lại), chỉnh hình mắt, quặm mi, lấy mỡ ROOF...
Cắt mí (phẫu thuật lại), tái sắp xếp mỡ hốc mắt
Cắt mí (phương pháp hai đường mổ, 2 lần), chỉnh hình mắt, mở rộng góc mắt trong, chữa lông quặm, hạ đường mí...
Cắt mí (phương pháp rạch một phần)
Cắt mí (Phương pháp rạch_Tái phẫu thuật)
Cắt mí (phương pháp rạch)
Cắt mí (phương pháp rạch) + Chỉnh hình mắt
Cắt mí (phương pháp rạch) + Chỉnh hình mắt + Mở rộng góc mắt trong
Cắt mí (phương pháp rạch) + Mở rộng góc mắt trong
Cắt mí (phương pháp rạch), chỉnh hình sụp mí (phương pháp rạch), mở rộng góc mắt trong, mở rộng góc mắt ngoài, hạ đuôi mắt.
Cắt mí (phương pháp rạch), chỉnh hình sụp mí, tái cấu trúc mỡ mí dưới.
Cắt mí (phương pháp rạch), mở rộng góc mắt trên
Cắt mí (phương pháp rạch), mở rộng góc mắt trong và trên 45 độ, lấy mỡ mí mắt.
Cắt mí (phương pháp rạch), mở rộng góc mắt trong, mở rộng khóe mắt, lấy mỡ mí mắt trên.
Cắt mí (rạch một phần), cấy mỡ dưới mắt
Cắt mí (rạch)
Cắt mí (rạch) + Chỉnh hình mắt
Cắt mí (rạch), combo 3 loại mở góc mắt (mở góc mắt trong, mở góc mắt trên, hạ đuôi mắt), quặm mi...
Cắt mí (rạch), mở rộng góc mắt trong
Cắt mí (rạch), mở rộng góc mắt trong, mở rộng góc mắt ngoài, hạ đuôi mắt, mũi (sống mũi, đầu mũi), thu gọn cánh mũi (rạch), gọt hàm vuông, hạ gò má, phẫu thuật cằm, chỉnh hàm hô, cấy mỡ tự thân toàn mặt.
Cắt mí (rạch), nâng cung chân mày
Cắt mí (rạch), nâng cung chân mày, cắt mí dưới, cấy mỡ (dưới mắt)
Cắt mí (sửa lại), mở góc mắt trên
Cắt mí (sửa lại). Điều chỉnh dáng mắt.
Cắt mí (Sửa mắt không đều, mắt xúc xích)
Cắt mí (tái phẫu thuật _ chỉnh sửa mắt trũng), chỉnh sửa dáng mắt,
Cắt mí (tái phẫu thuật lần 3), chỉnh hình mắt, mở góc mắt 2 vùng (mở góc mắt sau, hạ đuôi mắt), tái định vị mỡ dưới mắt...
Cắt mí (tái phẫu thuật lần 3), chỉnh hình mắt, mở rộng góc mắt ngoài, tái sắp xếp mỡ dưới mắt...
Cắt mí (tái phẫu thuật lần 3), chỉnh hình mắt, tái sắp xếp mỡ dưới mắt, lấy mỡ ROOF...
Cắt mí (tái phẫu thuật lần 3), chỉnh hình sụp mí, phục hồi khóe mắt trong.
Cắt mí (tái phẫu thuật lần 5), chỉnh hình mắt, mở góc mắt trong, tái cấu trúc mỡ hốc mắt...
Cắt mí (tái phẫu thuật mắt không đều, chỉnh sửa mí mắt xúc xích), điều chỉnh dáng mắt
Cắt mí (Tái phẫu thuật_mí mắt xúc xích, chỉnh sửa bất đối xứng)
Cắt mí (tái phẫu thuật)
Cắt mí (tái phẫu thuật) + chỉnh hình mắt
Cắt mí (tái phẫu thuật), chỉnh hình mắt
Cắt mí (tái phẫu thuật), chỉnh hình mắt, mở góc mắt trong.
Cắt mí (tái phẫu thuật), chỉnh hình mắt, tái cấu trúc mỡ hốc mắt
Cắt mí (tái phẫu thuật), hạ đường mí
Cắt mí (tái phẫu thuật), tái định vị mỡ
Cắt mí + Mở rộng góc mắt trong
Cắt mí bán phần, tái định vị mỡ mí dưới
Cắt mí chỉnh hình mắt, mở rộng góc mắt trong, mở rộng góc mắt trên.
Cắt mí chỉnh sửa cơ nâng mi + Mở rộng góc mắt sau + Hạ xếch
Cắt mí dính hạ bì, chỉnh hình mắt, mở rộng góc mắt trong, tái định vị mỡ dưới mắt, mũi gồ, mũi dài, chỉnh sửa góc mũi môi, nâng cơ Peach, cấy mỡ mặt.
Cắt mí dính hạ bì, điều chỉnh cơ nâng mi, mở góc mắt trong, tái định vị mỡ dưới mắt, chỉnh mũi gồ, phẫu thuật mũi dài, hạ gò má xoay, cấy mỡ toàn mặt, nâng cơ Peach.
Cắt mí dưới + cắt mí trên
Cắt mí dưới + lấy mỡ bọng mắt + dàn trải mỡ
Cắt mí dưới, cấy mỡ (gò má trước)
Cắt mí dưới, nâng cung mày dưới, cấy mỡ (dưới mắt), botox (vùng mắt)
Cắt mí dưới, nâng cung mày dưới, mở góc mắt trong
Cắt mí dưới, treo cung mày dưới
Cắt mí đính hạ bì, chỉnh hình mắt, cấy mỡ mí mắt trên.
Cắt mí lại, mở rộng góc mắt trên.
Cắt mí mắt
Cắt mí mắt (phẫu thuật lại_chỉnh sửa mắt trũng sâu), chỉnh hình dáng mắt, cấy mỡ mí mắt trên
Cắt mí mắt dính hạ bì, nâng cung mày dưới, phẫu thuật thẩm mỹ mí dưới.
Cắt mí mắt trên, nâng cung mày
Cắt mí mắt trên, tái định vị mỡ mí dưới
Cắt mí mắt, chỉnh hình dáng mắt (phương pháp rạch)
Cắt mí mắt, chỉnh hình dáng mắt (phương pháp rạch), mở rộng góc mắt ngoài, hạ góc mắt dưới.
Cắt mí mắt, chỉnh hình mắt (chỉnh mắt không đều), tái cấu trúc mỡ dưới mắt
Cắt mí mắt, chỉnh hình mắt, chỉnh hình mắt mí trên
Cắt mí mắt, lấy mỡ mí mắt.
Cắt mí mắt, nâng cung chân mày
Cắt mí mở góc mắt trên
Cắt mí nam
Cắt mí trên (tái phẫu thuật)
Cắt mí trên + cắt mí dưới
Cắt mí trên + Cắt mí dưới + Chỉnh hình mắt
Cắt mí trên + Chỉnh hình sụp mí
Cắt mí trên + mở rộng góc mắt trong
Cắt mí trên + Tái cấu trúc mỡ mí dưới
Cắt mí trên + Tái định vị mỡ mí mắt dưới
Cắt mí trên + Treo cung mày dưới
Cắt mí trên, cắt mí dưới, chỉnh hình mắt
Cắt mí trên, cắt mí dưới, chỉnh hình mắt, mở rộng góc mắt trong, cố định góc mắt ngoài...
Cắt mí trên, chỉnh hình mắt
Cắt mí trên, chỉnh hình mắt, cấy mỡ mí mắt trên
Cắt mí trên, chỉnh hình sụp mí
Cắt mí trên, chỉnh hình sụp mí, cắt mí dưới
Cắt mí trên, chỉnh hình sụp mí, cắt mí dưới, mở rộng góc mắt ngoài.
Cắt mí trên, chỉnh hình sụp mí, mở rộng góc mắt trên
Cắt mí và mở rộng góc mắt trên
Cắt mí, cấy mỡ mí mắt trên
Cắt mí, chỉnh hình mắt
Cắt mí, chỉnh hình mắt bằng phương pháp cắt, mở rộng góc mắt trong, hạ đuôi mắt.
Cắt mí, chỉnh hình mắt, lấy mỡ mí mắt
Cắt mí, chỉnh hình mắt, mở góc mắt 2 vùng (mở góc mắt trong, mở góc mắt trên), tái cấu trúc mỡ dưới mắt, lấy mỡ ROOF...
Cắt mí, chỉnh hình mắt, mở góc mắt trong
Cắt mí, chỉnh hình mắt, mở góc mắt trong và trên 45 độ.
Cắt mí, chỉnh hình mắt, mở góc mắt trong và trên.
Cắt mí, chỉnh hình mắt, mở góc mắt, mũi, sụn nhân tạo 3D, đầu mũi (sụn vách ngăn), chỉnh mũi gồ...
Cắt mí, chỉnh hình mắt, mở góc mắt.
Cắt mí, chỉnh hình mắt, mở rộng góc mắt 2 loại (mở rộng đuôi mắt, hạ xếch), tái định vị mỡ hốc mắt...
Cắt mí, chỉnh hình mắt, mở rộng góc mắt 2 vùng (mở góc mắt trong, mở góc mắt trên), mũi, silicone, đầu mũi (sụn vách ngăn), thu gọn cánh mũi, buộc sụn...
Cắt mí, chỉnh hình mắt, mở rộng góc mắt 3 điểm (mở rộng góc mắt trong, mở rộng góc mắt ngoài, hạ đuôi mắt)...
Cắt mí, chỉnh hình mắt, mở rộng góc mắt 4 vùng (mở rộng góc mắt trong, mở rộng góc mắt trên, mở rộng góc mắt ngoài, mở rộng góc mắt dưới), lấy mỡ ROOF...
Cắt mí, chỉnh hình mắt, mở rộng góc mắt trên, lấy mỡ ROOF.
Cắt mí, chỉnh hình mắt, mở rộng góc mắt trong, lấy mỡ mí mắt
Cắt mí, chỉnh hình mắt, mở rộng góc mắt trong, quặm mi.
Cắt mí, chỉnh hình mắt, mở rộng góc mắt trong.
Cắt mí, chỉnh hình mắt, phục hồi khóe mắt trong.
Cắt mí, chỉnh hình mắt, tái cấu trúc mỡ hốc mắt, tái cấu trúc mỡ mí dưới...
Cắt mí, chỉnh hình mắt, tái sắp xếp mỡ mí dưới.
Cắt mí, chỉnh hình sụp mí, cắt mí trên, tái cấu trúc mỡ hốc mắt.
Cắt mí, chỉnh hình sụp mí, lấy mỡ ROOF
Cắt mí, chỉnh hình sụp mí, mở góc mắt trong, hạ đuôi mắt.
Cắt mí, chỉnh hình sụp mí, mở góc mắt trong, lấy mỡ ROOF.
Cắt mí, chỉnh hình sụp mí, mở rộng góc mắt 2 loại (mở rộng góc mắt trong, mở rộng góc mắt trên)
Cắt mí, chỉnh hình sụp mí, mở rộng góc mắt 2 loại (mở rộng góc mắt trong, mở rộng góc mắt trên), lấy mỡ ROOF...
Cắt mí, chỉnh hình sụp mí, mở rộng góc mắt 3 vùng (mở rộng góc mắt trong, mở rộng góc mắt ngoài, hạ đuôi mắt), lấy mỡ ROOF...
Cắt mí, chỉnh hình sụp mí, mở rộng góc mắt 4 vùng (mở rộng góc mắt trong, mở rộng góc mắt trên, mở rộng góc mắt ngoài, hạ đuôi mắt)...
Cắt mí, chỉnh hình sụp mí, mở rộng góc mắt trên.
Cắt mí, chỉnh hình sụp mí, mở rộng góc mắt trong
Cắt mí, chỉnh hình sụp mí, mở rộng góc mắt trong.
Cắt mí, chỉnh hình sụp mí, quặm mi.
Cắt mí, chỉnh hình sụp mí, tái cấu trúc mỡ mí dưới, mở rộng góc mắt ngoài.
Cắt mí, lấy mỡ mí mắt
Cắt mí, mở góc mắt 2 vùng (mở góc mắt trong, mở góc mắt trên)
Cắt mí, mở góc mắt trên
Cắt mí, mở góc mắt trong
Cắt mí, mở góc mắt trong và trên 45 độ
Cắt mí, mở góc mắt trong, lấy mỡ ROOF, phẫu thuật cố định góc mắt ngoài.
Cắt mí, mở góc mắt trong, mở góc mắt ngoài, hạ đuôi mắt.
Cắt mí, mở góc mắt trong, mở góc mắt trên.
Cắt mí, mở rộng góc mắt 2 vùng (mở góc mắt sau, hạ đuôi mắt)
Cắt mí, mở rộng góc mắt trên
Cắt mí, mở rộng góc mắt trên, mũi, silicone, đầu mũi (sụn vách ngăn)
Cắt mí, mở rộng góc mắt trên, nâng cung mày.
Cắt mí, mở rộng góc mắt trên, tái định vị mỡ mí dưới.
Cắt mí, mở rộng góc mắt trên, tái sắp xếp mỡ hốc mắt
Cắt mí, mở rộng góc mắt trên.
Cắt mí, mở rộng góc mắt trong, lấy mỡ ROOF
Cắt mí, mở rộng góc mắt trong, mở rộng góc mắt trên.
Cắt mí, mở rộng góc mắt trong.
Cắt mí, tái định vị mỡ mí dưới
Cắt mí, tái định vị mỡ mí dưới, lấy mỡ ROOF.
Cấy 3000 sợi đường chân tóc nữ phương pháp rạch
Cấy mỡ
Cấy mỡ (trán, gò má trước, cằm)
Cấy mỡ (trán, rãnh cười, gò má trước)
Cấy mỡ (trán)
Cấy mỡ (vùng trên mắt)
Cấy mỡ + Tiêm tan mỡ mặt
Cấy mỡ DA
Cấy mỡ gò má trước/rãnh cười, Botox trán
Cấy mỡ hốc mắt
Cấy mỡ hốc mắt, nâng cung chân mày
Cấy mỡ mặt (gò má trước, rãnh cười, má hóp)
Cấy mỡ mặt (toàn mặt)
Cấy mỡ mặt (trán)
Cấy mỡ mí mắt trên
Cấy mỡ mí mắt trên (Tái chỉnh sửa mắt trũng)
Cấy mỡ mí mắt trên, mở rộng góc mắt sau và hạ xếch.
Cấy mỡ ngực
Cấy mỡ rãnh cười
Cấy mỡ toàn mặt
Cấy mỡ toàn mặt + AccuSculpt
Cấy mỡ toàn mặt + Căng da mặt mini + Tiêm filler môi
Cấy mỡ trán
Cấy mỡ vùng dưới mắt
Cấy tóc đường chân tóc nữ không phẫu thuật 2000 sợi
Cấy tóc đường chân tóc nữ phương pháp rạch 1500 sợi
Cấy tóc nam giới phương pháp rạch 2000 sợi
Cấy tóc nam không phẫu thuật 1500 sợi
Cấy tóc nam không phẫu thuật 2000 sợi
Cấy tóc nam không phẫu thuật 2500 sợi
Cấy tóc nam không phẫu thuật 3000 sợi
Cấy tóc nam không phẫu thuật 3000 sợi_vùng đỉnh đầu.
Cấy tóc nam không phẫu thuật, Line cut 3500 sợi.
Cấy tóc nam phương pháp FUT 2500 nang tóc
Cấy tóc nam phương pháp rạch da 3000 sợi
Cấy tóc nữ không phẫu thuật 2000 sợi
Cấy tóc nữ không phẫu thuật 3000 sợi
Cấy tóc nữ không phẫu thuật 3500 nang tóc
Cấy tóc nữ phương pháp rạch 1000 sợi
Cấy tóc nữ phương pháp rạch 1500 sợi
Cấy tóc nữ phương pháp rạch 2500 sợi
Cấy tóc nữ phương pháp rạch 3000 sợi
Cấy tóc nữ phương pháp rạch da 2000 sợi
Chỉ Jamber, filler rãnh cười
Chỉnh hàm hô nam + Hạ gò má + Phẫu thuật cằm + Thẩm mỹ mắt nam
Chỉnh hình mắt
Chỉnh hình mắt (cắt bán phần), lấy mỡ, mở rộng góc mắt trong
Chỉnh hình mắt (cắt mí bán phần), mở rộng góc mắt trong, lấy mỡ mắt.
Chỉnh hình mắt (cắt mí bán phần), mở rộng góc mắt trong, mũi (sống mũi, đầu mũi), mũi ngắn, sụn sườn hiến tặng.
Chỉnh hình mắt (cắt mí), mở góc mắt trong, nâng trán (cố định bằng chỉ)
Chỉnh hình mắt (cắt mí), tái cấu trúc mỡ mí dưới, nâng cơ trán
Chỉnh hình mắt (không phẫu thuật), mở rộng góc mắt trong
Chỉnh hình mắt (không rạch)
Chỉnh hình mắt (không rạch), lấy mỡ
Chỉnh hình mắt (không rạch), mở góc mắt dưới
Chỉnh hình mắt (không rạch), mở góc mắt trong, tái sắp xếp mỡ dưới mắt
Chỉnh hình mắt (không rạch), mở rộng góc mắt dưới, mở rộng góc mắt ngoài
Chỉnh hình mắt (không rạch), mở rộng góc mắt ngoài, hạ đuôi mắt.
Chỉnh hình mắt (không rạch), mở rộng góc mắt ngoài.
Chỉnh hình mắt (không rạch), mở rộng góc mắt trong, mở rộng góc mắt ngoài.
Chỉnh hình mắt (không rạch), mở rộng góc mắt trong, mũi (sống mũi, đầu mũi), mũi gồ, mài xương, gọt hàm, hạ gò má, chỉnh hình cằm.
Chỉnh hình mắt (không rạch), mở rộng góc mắt trong, mũi vẹo, đục xương.
Chỉnh hình mắt (không rạch), nâng trán (Endotine)
Chỉnh hình mắt (không rạch), phẫu thuật lại mũi (sống mũi, đầu mũi), Laser Venus.
Chỉnh hình mắt (không rạch), tái định vị mỡ dưới mắt
Chỉnh hình mắt (không rạch), tái sắp xếp mỡ dưới mắt, cấy mỡ (dưới mắt)
Chỉnh hình mắt (phương pháp rạch) + Mở góc mắt trong
Chỉnh hình mắt (phương pháp rạch), tái định vị mỡ dưới mắt
Chỉnh hình mắt (rạch mí), mở góc mắt trong, hạ đuôi mắt, mở góc mắt ngoài.
Chỉnh hình mắt (rạch mí), mở rộng đuôi mắt
Chỉnh hình mắt (rạch mí), mở rộng góc mắt ngoài, hạ góc mắt ngoài, tái định vị mỡ dưới mắt
Chỉnh hình mắt (rạch mí), mở rộng góc mắt trong, mở rộng góc mắt ngoài, hạ đuôi mắt.
Chỉnh hình mắt (rạch một phần)
Chỉnh hình mắt (rạch một phần), mở rộng góc mắt trong
Chỉnh hình mắt (rạch)
Chỉnh hình mắt (rạch), mở rộng góc mắt ngoài, tái sắp xếp mỡ dưới mắt.
Chỉnh hình mắt (rạch), mở rộng góc mắt trong, mở rộng góc mắt ngoài, hạ đuôi mắt, tái sắp xếp mỡ dưới mắt, mũi (sống mũi, đầu mũi), gọt hàm vuông, hạ gò má, phẫu thuật cằm, phẫu thuật hai hàm, chỉnh hàm hô, cấy mỡ toàn mặt, laser Venus (má, nọng cằm)
Chỉnh hình mắt (rạch), nâng trán (cố định bằng chỉ)
Chỉnh hình mắt bằng phương pháp rạch
Chỉnh hình mắt không phẫu thuật
Chỉnh hình mắt không phẫu thuật + tái phẫu thuật + mở rộng góc mắt trong
Chỉnh hình mắt không phẫu thuật và nâng cung mày.
Chỉnh hình mắt không phẫu thuật, nâng cung mày dưới, tái sắp xếp mỡ dưới mắt, quặm mi
Chỉnh hình mắt không phẫu thuật, phẫu thuật mở góc mắt, tái sắp xếp mỡ dưới mắt.
Chỉnh hình mắt không rạch + Mở rộng góc mắt trên + Mở rộng góc mắt ngoài + Hạ góc mắt dưới
Chỉnh hình mắt không rạch, mở rộng góc mắt trên
Chỉnh hình mắt không rạch, nâng cung mày, lấy mỡ mí mắt.
Chỉnh hình mắt không rạch, tái định vị mỡ dưới mắt
Chỉnh hình mắt mí trên + cắt mí dưới
Chỉnh hình mắt phương pháp cắt + Tái phẫu thuật mắt
Chỉnh hình mắt sụp mí (rạch da) và nâng cung chân mày
Chỉnh hình mắt sụp mí bằng phương pháp rạch, mở rộng góc mắt trong, mở rộng góc mắt trên.
Chỉnh hình mũi vẹo, mũi gồ, nâng mũi (sống mũi + đầu mũi)
Chỉnh hình sụp mí (cắt bán phần), mở rộng góc mắt trong, mở rộng góc mắt ngoài, hạ đuôi mắt.
Chỉnh hình sụp mí (không rạch), mở rộng góc mắt trong, mở rộng góc mắt ngoài, hạ đuôi mắt.
Chỉnh hình sụp mí (rạch mí), phục hồi góc mắt trong, mở rộng góc mắt ngoài, hạ đuôi mắt.
Chỉnh hình sụp mí (rạch mí), tái phẫu thuật mở rộng góc mắt trong, mở rộng góc mắt ngoài, hạ gò má, gọt hàm vuông, phẫu thuật cằm, cấy mỡ, cấy mỡ toàn mặt, laser Venus (dưới cằm)
Chỉnh hình sụp mí (rạch), mở rộng góc mắt ngoài, hạ đuôi mắt.
Chỉnh hình sụp mí bằng phương pháp rạch, mở rộng góc mắt ngoài, hạ đuôi mắt, nâng cung chân mày.
Chỉnh hình sụp mí bằng phương pháp rạch, mở rộng góc mắt trong, mở rộng góc mắt trên, tái sắp xếp mỡ dưới mắt.
Chỉnh hình sụp mí bằng phương pháp rạch, nâng cung chân mày
Chỉnh hình sụp mí không phẫu thuật + Mở góc mắt trong
Chỉnh hình sụp mí không phẫu thuật + Mở rộng góc mắt ngoài + Hạ đuôi mắt
Chỉnh hình sụp mí không phẫu thuật + Mở rộng góc mắt trong
Chỉnh hình sụp mí không phẫu thuật + Mở rộng góc mắt trong + Mở rộng góc mắt trên + Mở rộng góc mắt ngoài + Hạ đuôi mắt
Chỉnh hình sụp mí không phẫu thuật, mở góc mắt, cấy mỡ mí mắt trên, tái sắp xếp mỡ dưới mắt.
Chỉnh hình sụp mí không phẫu thuật, mở rộng góc mắt trên
Chỉnh hình sụp mí không phẫu thuật, mở rộng góc mắt trên, mở rộng và hạ đuôi mắt, tái cấu trúc mỡ mí dưới.
Chỉnh hình sụp mí không phẫu thuật, mở rộng góc mắt trong
Chỉnh hình sụp mí không phẫu thuật, mở rộng góc mắt trong, mở rộng góc mắt trên
Chỉnh hình sụp mí không phẫu thuật, mở rộng góc mắt trong, mở rộng góc mắt trên, mở rộng góc mắt ngoài.
Chỉnh hình sụp mí không phẫu thuật, tái cấu trúc mỡ mí dưới, cấy mỡ (dưới mắt)
Chỉnh hình sụp mí không rạch + Mở rộng góc mắt dưới + Mở rộng góc mắt sau
Chỉnh hình sụp mí không rạch, mở rộng góc mắt trong, mở rộng góc mắt trên.
Chỉnh hình sụp mí mắt bằng phương pháp rạch, mở góc mắt trong, mở góc mắt trên.
Chỉnh hình sụp mí mắt trên
Chỉnh hình sụp mí mắt trên, tái sắp xếp mỡ mí mắt dưới, cấy mỡ mí mắt trên.
Chỉnh sửa cằm lẹm + tái phẫu thuật mũi + chỉnh sửa mũi to + thu gọn cánh mũi
Chỉnh sửa dáng mắt (rạch), mở rộng góc mắt trong, mở rộng góc mắt ngoài
Chỉnh sửa mắt không đều + mở rộng góc mắt trên + tái phẫu thuật cắt mí mắt
Chỉnh sửa mắt sụp mí bằng phương pháp rạch + Mở rộng góc mắt trong + Chỉnh sửa mũi gồ + Chỉnh sửa mũi lân
Chỉnh sửa mắt sụp mí không tạo mí (phương pháp rạch), lấy mỡ mí mắt
Chỉnh sửa mắt trũng (Cấy mỡ mí mắt trên)
Chỉnh sửa mí mắt (cắt mí), mở rộng góc mắt trong
Chỉnh sửa mí mắt (rạch bán phần) (lấy mỡ), mở rộng góc mắt trong
Chỉnh sửa mí mắt (rạch), hạ đường mí mắt
Chỉnh sửa mí mắt bằng phương pháp rạch, mở rộng góc mắt trên, mở rộng góc mắt ngoài, hạ góc mắt dưới.
Chỉnh sửa mí mắt bị tuột
Chỉnh sửa mí mắt không rạch + Mở rộng góc mắt kép + Phẫu thuật lại
Chỉnh sửa môi không cân đối (filler + botox)
Chỉnh sửa mũi gồ
Chỉnh sửa mũi gồ + mũi lệch
Chỉnh sửa mũi gồ + mũi to
Chỉnh sửa mũi gồ, góc mũi môi
Chỉnh sửa mũi gồ, mũi lân và nâng mũi thẩm mỹ điều trị viêm mũi.
Chỉnh sửa mũi lân
Chỉnh sửa mũi lân + chỉnh sửa mũi ngắn + nâng mũi thẩm mỹ điều trị viêm mũi
Chỉnh sửa mũi lân, mũi rồng và góc mũi môi
Chỉnh sửa mũi ngắn + chỉnh sửa mũi lân
Chỉnh sửa mũi to, mũi dài và góc mũi môi.
Chỉnh sụp mí không phẫu thuật và mở rộng góc mắt trên
Chỉnh sụp mí không phẫu thuật, hạ đường mí, cấy mỡ mí mắt trên.
Chỉnh sụp mí mắt (phương pháp cắt), mở rộng góc mắt trên.
Chú hề
Chứng vú to ở nam giới
Chứng vú to ở nam giới và thu nhỏ núm vú
Chứng vú to ở nam giới và tuyến vú phụ.
Chứng vú to ở nam giới, tuyến vú phụ, thu nhỏ núm vú.
Clarity
Collagen Booster (Rafollen)
Combo 3 loại mở góc mắt (mở góc mắt trên, mở góc mắt sau, mở góc mắt dưới), tái sắp xếp mỡ dưới mắt...
Combo 3 vùng gọt mặt + Accu lifting (đường viền hàm)
Combo 3 vùng hàm mặt (Thu gọn gò má + Gọt hàm + Thẩm mỹ cằm) + Nâng mũi
Combo 3 vùng hàm mặt + Phẫu thuật mắt + Tái phẫu thuật mũi
Combo 3 vùng xương hàm mặt + (Tái phẫu thuật) Chỉnh hình mắt bằng phương pháp cắt mí + Mở rộng góc mắt ngoài + Mở rộng góc mắt dưới
Combo 3 vùng xương hàm mặt + thẩm mỹ mắt + thẩm mỹ mũi
Combo 3 vùng xương mặt + Căng da mặt mini toàn diện
Combo 3 vùng xương mặt + Chỉnh hình mắt không phẫu thuật
Combo 3 vùng xương mặt + Chỉnh hình mí mắt không phẫu thuật + Thu gọn trán
Combo 3 vùng xương mặt + Lấy mỡ bọng mắt + Nâng mũi
Combo 3 vùng xương mặt + Mini lifting + Căng chỉ Mint
Combo 3 vùng xương mặt + sống mũi + đầu mũi + chỉnh sửa mũi to
Combo 3 vùng xương mặt + Sửa lại mũi + Cấy mỡ mặt toàn phần
Combo 3 vùng xương mặt + Thẩm mỹ mắt + Thẩm mỹ mũi + Cấy mỡ
Combo 3 vùng xương mặt nam + Thẩm mỹ mắt nam
Combo mở góc mắt 3 vùng (mở góc mắt trong, mở góc mắt ngoài, hạ đuôi mắt)
DA Combo 3 vùng xương mặt + Phẫu thuật mắt + Phẫu thuật mũi + Cấy mỡ
Dermotoxin V-line
Dính trung bì, mở rộng khóe
Đăng ký bằng mã MD
Đầu mũi, mũi gồ
Đầu mũi, mũi tên, vách ngăn mũi
Đầu mũi, thu gọn cánh mũi (phẫu thuật hở)
Đầu mũi, thu gọn xương mũi, cấy mỡ (dưới mắt), căng chỉ Heart Line, cằm.
Đầu mũi, thu gọn xương mũi, mài gồ
Điều trị làm trắng
Điều trị mụn
Điều trị sẹo mụn của mình
Điều trị vết thâm (laser), Rejuran Healer
Định hình đường nét khuôn mặt nam giới Shaping: Phẫu thuật khuôn mặt + Thu nhỏ xương gò má Turning + Trượt cằm
Đường chân tóc nam 1500 sợi / Sau 1 tháng
Đường chân tóc nam 1500 sợi / Sau 2 tuần
Đường chân tóc nam 2000 sợi / Sau 1 tháng
Đường chân tóc nam 2500 sợi / Sau 1 tháng
Đường chân tóc nam 2500 sợi / Sau 2 tuần
Đường chân tóc nam 3000 nang / Sau 1 tháng
Đường chân tóc nam 3000 sợi / Sau 2 tuần
Đường chân tóc nữ 3000 nang / Sau 2 tuần
Đường chân tóc và đỉnh đầu nam giới 2500 sợi / Sau 2 tuần
Elasticum
Elasticum + Accu (má)
Elasticum + AccuSculpt
Elasticum + Căng chỉ Mint + Mini lifting
Elastikum + AccuSculpt (nọng cằm, rãnh cười)
Elastikum + Mini lifting
Endotine, Laser Venus
Filler (trán + rãnh cười + má hóp) + Rejuran Healer 2cc
Filler (trên chân mày, má trước, rãnh cười, cằm trước, môi, sống mũi, trán)
Filler hông
Filler khóe môi
Filler Lycol tạo hình hàm mặt mini
Filler môi + Botox khóe miệng
Filler môi, botox khóe miệng
Filler mông
Full mini lifting + AccuSculpt
Full Mini Lifting + Cắt mí dưới
Full mini lifting + Tạo hình mô mềm
GL Mở rộng góc mắt dưới (Mở rộng đuôi mắt, Hạ đuôi mắt), Quặm mi
GL phục hồi hạ mi mắt dưới, quặm mi, phục hồi mở rộng góc mắt sau.
Gò má + cằm
Gò má + hàm vuông
Gò má + hàm vuông + cằm
Gò má, hàm vuông, cằm, gọt vỏ xương.
Gò má, Laser Venus
Gọt hàm + hạ gò má + chỉnh hình cằm + nâng mũi
Gọt hàm + hạ gò má + gọt cằm V-line
Gọt hàm đường cắt dài
Gọt hàm, cằm, gọt vỏ xương, Venus (má, nọng cằm), căng chỉ.
Gọt hàm, gọt cằm, gọt vỏ xương
Gọt hàm, gọt cằm, gọt vỏ xương, Venus (má ngoài, nọng cằm)
Gọt hàm, hạ gò má, gọt cằm, gọt vỏ xương, lấy mỡ túi má.
Gọt hàm, hạ gò má, gọt vỏ xương, cấy mỡ, laser Venus
Gọt mặt 2 vùng + Cắt xương chữ V
Gọt mặt 2 vùng + Mini lifting
Gọt mặt 2 vùng + Nâng mũi
Gọt mặt 3 vùng
Gọt mặt 3 vùng + Lấy mỡ má
Gọt mặt 3 vùng + nâng mũi
Gọt mặt 3 vùng + Sửa lại mũi + Hạ đuôi mắt
Gọt mặt 3 vùng + Thẩm mỹ mắt + Accusculpt
Gọt mặt nam - Shaping Facial Contouring [Cằm trước + Cắt xương chữ V]
Gọt mặt nam giới - Tạo hình khuôn mặt [Cằm]
Gọt mặt nam giới - Tạo hình khuôn mặt [Gò má + Hàm vuông]
Gọt mặt nam giới Shaping + Thẩm mỹ mắt + Thẩm mỹ mũi + Thẩm mỹ trán
Gọt mặt nam giới Shaping Facial Contouring
Gọt mặt nam Shaping + Nâng mũi nam
Gọt mặt nam Shaping + Thẩm mỹ mắt + Thẩm mỹ mũi
Hạ chân tóc nam 3500 sợi / Sau 2 tuần
Hạ chân tóc nữ 1500 nang / Sau 2 tuần
Hạ chân tóc nữ 2500 nang / Sau 1 tháng
Hạ chân tóc nữ 2500 nang / Sau 2 tuần
Hạ đuôi mắt
Hạ đường chân tóc nam giới không phẫu thuật 2500 nang tóc
Hạ đường chân tóc nam không phẫu thuật
Hạ đường chân tóc nữ 1000 nang / Sau 2 tuần
Hạ đường chân tóc nữ 2000 nang / Sau 2 tuần
Hạ đường chân tóc nữ 3000 sợi / Sau 1 tháng
Hạ đường chân tóc nữ phương pháp phẫu thuật 2500 nang tóc
Hạ gò má + Gọt hàm + Cấy mỡ toàn mặt + Nâng mũi
Hạ gò má + Gọt hàm + Chỉnh hình cằm + Accusculpt
Hạ gò má + Gọt hàm + Chỉnh hình cằm + Accusculpt (đường viền hàm, nọng cằm) + Nâng mũi
Hạ gò má + Gọt hàm + Chỉnh hình cằm + Phẫu thuật hàm hô
Hạ gò má + Gọt hàm + Kéo dài đầu cằm + Cấy mỡ
Hạ gò má + gọt hàm + nâng mũi
Hạ gò má + Gọt hàm + Phẫu thuật cằm + Accusculpt + Nâng mũi
Hạ gò má + Gọt hàm + Phẫu thuật cằm + Accusculpt + Sửa lại mũi
Hạ gò má + Gọt hàm + Phẫu thuật cằm + Cấy mỡ (má trước, trán) + Nâng mũi
Hạ gò má + Gọt hàm + Phẫu thuật cằm + Nâng mũi
Hạ gò má + Gọt hàm + Phẫu thuật đầu cằm + Thu nhỏ cơ cắn
Hạ gò má + gọt hàm + tái phẫu thuật mắt + tái phẫu thuật mũi
Hạ gò má + Gọt hàm + Tạo hình cằm + Accusculpt (má)
Hạ gò má + Gọt hàm + Thẩm mỹ cằm
Hạ gò má + Gọt hàm + Thẩm mỹ cằm + Thẩm mỹ mắt
Hạ gò má + Gọt hàm + Thẩm mỹ đầu cằm (Trượt cằm) + Tái phẫu thuật mắt + Nâng mũi
Hạ gò má + Gọt hàm + Thẩm mỹ đầu cằm + Thu gọn cơ cắn + Accusculpt + Nâng mũi
Hạ gò má + gọt hàm + thu gọn cằm
Hạ gò má + Gọt hàm + Thu gọn đầu cằm + Tái phẫu thuật đường nét khuôn mặt
Hạ gò má + Gọt hàm quay hàm
Hạ gò má + tái phẫu thuật mắt + mở góc mắt kép + nâng mũi
Hạ gò má, gọt hàm đường cắt dài
Hạ thấp mí mắt cho nam
Hạ xếch (tái phẫu thuật), tái định vị mỡ mí dưới
Hàm dưới / Khu vực răng hàm / Dưới 3 cái / Ghép xương | Nha khoa ngủ | Tiểu đường
Hàm dưới / Khu vực răng hàm / Từ 3 cái trở xuống / Ghép xương | Cao huyết áp | Tiểu đường
Hàm dưới / Khu vực răng hàm / Từ 3 cái trở xuống / Ghép xương | Gây mê
Hàm dưới / Khu vực răng hàm / Từ 4 cái trở lên / Ghép xương
Hàm dưới / Khu vực răng hàm / Từ 4 cái trở lên / Ghép xương | Cao huyết áp
Hàm dưới / Phần răng cửa / Từ 4 cái trở lên / Ghép xương
Hàm dưới / Phần răng cửa / Từ 4 cái trở lên / Ghép xương | An thần | Cao huyết áp | Tiểu đường
Hàm dưới / Toàn bộ / Ghép xương
Hàm dưới / Toàn bộ / Ghép xương | Gây mê
Hàm dưới / Vùng răng cửa / 3 cái trở xuống / Ghép xương | An thần | Tiểu đường
Hàm dưới / Vùng răng cửa / 3 cái trở xuống / Ghép xương | Tiền mê
Hàm dưới / Vùng răng cửa / Từ 3 cái trở xuống / Ghép xương
Hàm dưới / Vùng răng cửa / Từ 4 cái trở lên / Cao huyết áp
Hàm dưới / Vùng răng cửa / Từ 4 cái trở lên / Ghép xương | Tiền mê
Hàm dưới / Vùng răng hàm / 3 cái trở xuống / Ghép xương | Aspirin
Hàm dưới / Vùng răng hàm / 3 cái trở xuống / Ghép xương | Gây mê ngủ | Cao huyết áp
Hàm dưới / Vùng răng hàm / 3 cái trở xuống / Ghép xương | Tiền mê | Cao huyết áp | Tiểu đường | Aspirin
Hàm dưới / Vùng răng hàm / 4 cái trở lên / Ghép xương | Tiền mê
Hàm dưới / Vùng răng hàm / 4 cái trở lên / Ghép xương | Tiền mê | Aspirin
Hàm dưới / vùng răng hàm / 4 cái trở lên / Ghép xương | Tiền mê | Cao huyết áp
Hàm dưới / Vùng răng hàm / Tối đa 3 cái / Ghép xương
Hàm dưới/Khu vực răng hàm / Từ 4 cái trở lên / Ghép xương | An thần tỉnh | Cao huyết áp | Tiểu đường
Hàm dưới/Phần răng cửa / 3 cái trở xuống / Ghép xương | An thần | Cao huyết áp | Tiểu đường
Hàm dưới/Phần răng cửa / 3 cái trở xuống / Ghép xương | Aspirin
Hàm dưới/Phần răng cửa / 3 cái trở xuống / Ghép xương|An thần ngủ|Cao huyết áp
Hàm dưới/Phần răng cửa / 4 cái trở lên / Ghép xương | Tiền mê | Cao huyết áp
Hàm dưới/Phần răng cửa / Từ 4 cái trở lên / Ghép xương|An thần|Cao huyết áp|Tiểu đường|Aspirin
Hàm dưới/Toàn bộ / Ghép xương|An thần ngủ|Tiểu đường
Hàm dưới/Toàn bộ / Ghép xương|Cao huyết áp
Hàm dưới/Toàn bộ / Ghép xương|Gây mê|Cao huyết áp
Hàm dưới/Vùng răng cửa / Dưới 3 cái / Ghép xương | Cao huyết áp
Hàm dưới/Vùng răng hàm / Dưới 3 cái / Ghép xương | Cao huyết áp
Hàm trên / Khu vực răng cửa / 3 cái trở xuống /
Hàm trên / Khu vực răng hàm / Từ 4 cái trở lên / Ghép xương
Hàm trên / Toàn bộ / Ghép xương
Hàm trên / Vùng răng cửa / 3 cái trở xuống / Ghép xương
Hàm trên / Vùng răng cửa / 4 cái trở lên / Ghép xương | Cao huyết áp
Hàm trên / Vùng răng cửa / Dưới 3 cái / Ghép xương | Cao huyết áp
Hàm trên / Vùng răng cửa / Dưới 3 cái / Ghép xương | Tiền mê
Hàm trên / Vùng răng cửa / Từ 4 cái trở lên / Ghép xương
Hàm trên / Vùng răng cửa / Từ 4 cái trở lên / Ghép xương | Tiền mê
Hàm trên / Vùng răng hàm / Dưới 3 cái / Ghép xương | Gây mê | Cao huyết áp
Hàm trên / Vùng răng hàm / Tối đa 3 cái / Ghép xương.
Hàm trên / Vùng răng hàm / Từ 4 cái trở lên / Ghép xương | Cao huyết áp
Hàm trên/Khu vực răng cửa / Từ 4 cái trở lên / Ghép xương | Tiểu đường
Hàm trên/Khu vực răng hàm / Từ 4 cái trở lên / Ghép xương|An thần|Cao huyết áp|Tiểu đường
Hàm trên/Phần răng cửa / 4 cái trở lên / Ghép xương | Aspirin
Hàm trên/Phần răng cửa / Từ 4 cái trở lên / Ghép xương|Cao huyết áp|Tiểu đường
Hàm trên/Phần răng cửa / Từ 4 cái trở lên / Ghép xương|Tiểu đường|Aspirin
Hàm trên/Toàn bộ / Ghép xương|Gây mê
Hàm trên/Toàn bộ / Ghép xương|Gây mê ngủ|Cao huyết áp
Hàm trên/Toàn bộ / Ghép xương|Tiền mê|Aspirin
Hàm trên/Toàn bộ / Ghép xương|Tiền mê|Cao huyết áp|Tiểu đường
Hàm trên/Vùng răng cửa / 3 cái trở xuống / Ghép xương|Gây mê|Aspirin
Hàm trên/Vùng răng cửa / Dưới 3 cái / Ghép xương | Gây mê | Cao huyết áp
Hàm trên/Vùng răng cửa / Dưới 3 cái / Ghép xương|An thần|Cao huyết áp|Tiểu đường|Aspirin
Hàm trên/Vùng răng cửa / Từ 3 cái trở xuống / Ghép xương|Cao huyết áp|Tiểu đường
Hàm trên/Vùng răng cửa / Từ 4 cái trở lên / Ghép xương | Gây mê | Cao huyết áp | Tiểu đường
Hàm trên/Vùng răng cửa / Từ 4 cái trở lên / Ghép xương|An thần ngủ|Cao huyết áp
Hàm trên/Vùng răng hàm / Dưới 3 cái / Ghép xương|Cao huyết áp|Tiểu đường
Hàm trên/Vùng răng hàm / Từ 3 cái trở xuống / Ghép xương | Cao huyết áp
Hàm trên/Vùng răng hàm / Từ 4 cái trở lên / Ghép xương | Gây mê | Cao huyết áp
Hàm trên/Vùng răng hàm / Từ 4 cái trở lên / Ghép xương | Tiền mê
Hàm trên/Vùng răng hàm / Từ 4 cái trở lên / Ghép xương|An thần|Cao huyết áp|Tiểu đường|Aspirin
Hàm vuông + cằm
Hàm vuông, gò má, cằm
Hàm vuông, gò má, cằm, phẫu thuật hai hàm.
Hút mỡ
Hút mỡ (bắp tay)
Hút mỡ (má phệ), căng da mặt
Hút mỡ (má trong)
Hút mỡ bắp tay
Hút mỡ bụng
Hút mỡ bụng DA
Hút mỡ bụng, hút mỡ hông.
Hút mỡ cánh tay
Hút mỡ chứng vú to ở nam giới, tuyến vú phụ và vùng cạnh ngực.
Hút mỡ DA
Hút mỡ DA + Tạo hình thành bụng
Hút mỡ điều trị chứng vú to ở nam giới, ngực phụ và vùng ngực bên.
Hút mỡ đùi
Hút mỡ má trước, đường viền hàm, căng chỉ nọng cằm.
Hút mỡ mặt
Hút mỡ mặt (nọng cằm)
Hút mỡ ngực phụ
Hút mỡ ngực, bụng
Hút mỡ nọng cằm
Hút mỡ nọng cằm & khâu cơ
Hút mỡ nọng cằm, căng chỉ nâng cơ
Hút mỡ nọng cằm, căng chỉ, độn cằm
Hút mỡ nọng cằm, khâu cơ nọng cằm
Hút mỡ nọng cằm, nâng cơ má trước.
Hút mỡ viền hàm, căng chỉ, filler.
Inmode
Inmode FORMA, Shurink, Virtue RF
Inmode FX, Shurink, Virtue RF, Tiêm Fit
Juvederm Volift
Juvelook Volume
Khác
Khâu thắt cơ cằm đôi
Khâu thắt cơ nọng cằm
Khâu thắt cơ nọng cằm + Cấy mỡ cằm
Khâu thắt cơ nọng cằm + Chỉ Epiticon (đường viền hàm)
Khâu thắt cơ nọng cằm + Tiêm filler cằm lẹm
Không sụn nhân tạo, đầu mũi (sụn vách ngăn, sụn tai), thu gọn cánh mũi, hạ cánh mũi...
Lần thứ 5 mình phẫu thuật lại bằng phương pháp rạch, hạ thấp đường mí.
Laser Venus (má, nọng cằm), Endotine
Lấy mỡ bọng mắt
Lấy mỡ bọng mắt (TCA)
Lấy mỡ bọng mắt (TCA) + Tái cấu trúc mỡ bọng mắt
Lấy mỡ bọng mắt, phẫu thuật mí dưới kép, cấy mỡ gò má trước, cấy mỡ mí mắt trên
Lấy mỡ mí dưới mini, cấy mỡ gò má trước
Lấy mỡ mí mắt dưới
Liệu trình làm trắng
Liệu trình trị mụn
Lifting Peach, Lifting V-line, Lifting nọng cằm
Liposonic Heat Slim
Max Lifting (Căng da mặt) + Cắt mí trên + Cắt mí dưới + Cấy mỡ tự thân
Max Lifting (Căng da mặt) + Cấy mỡ + Cắt mí trên + Cắt mí dưới + Tái cấu trúc mỡ mí mắt dưới
Max Lifting (Phẫu thuật căng da mặt)
Max Lifting (Phẫu thuật căng da mặt) + Cấy mỡ + Botox
Max Lifting (Phẫu thuật căng da mặt) + Laser Venus
Mentor Extra_Không hài lòng về dáng ngực_Tháng thứ 5
Mentor Extra_Năm thứ 1
Mentor Extra_Tháng thứ 9
Mentor Extra_Thay túi ngực nhám_Tháng thứ 6 của mình
Mentor Smooth_Co thắt bao xơ_Tháng thứ 1
Mentor Smooth_Tái tạo ngực_Tháng thứ 6 của mình
Mentor Smooth_Tháng thứ 1
Mentor Smooth_Tháng thứ 2 của mình
Mentor Smooth_tháng thứ 3 của mình
Mentor Smooth_Tháng thứ 6 của mình
Mentor Xtra_Tháng thứ 2
Mí mắt dưới
Mí mắt trên
Mí mắt trên, mí mắt dưới
Miếng độn trán
Mình nhấn mí tự nhiên, mở rộng góc mắt trên, mở rộng góc mắt sau và dưới, tái cấu trúc mỡ mí dưới, nâng mũi.
Mini lifting + Accu (vùng trên rãnh cười)
Mini lifting + Accusculpt + Căng da trán (Endotine) + Cấy mỡ toàn mặt + Botox [trán, cằm vỏ cam]
Mini lifting + Căng chỉ
Mini lifting + Căng chỉ Elasticum + Botox thon gọn hàm
Mini lifting + Căng chỉ Mint
Mini lifting + Căng chỉ Mint + Căng chỉ Elasticum (cổ)
Mini lifting + Căng chỉ Mint + Cấy mỡ (trán, rãnh cười)
Mini lifting + Căng chỉ Mint + Cấy mỡ toàn mặt
Mini lifting + cấy mỡ
Mini lifting + Chỉ Elasticum + Cấy mỡ tự thân
Mini lifting + Elasticum
Mini lifting + Elasticum + Căng chỉ Mint
Mini lifting + Elasticum + Cấy mỡ toàn mặt
Mini lifting + Nâng cơ đường viền hàm V-line + Cấy mỡ tự thân
Mini lifting + Nâng cơ hàm V-line + Cấy mỡ trán
Mini lifting + Nâng cơ tạo đường viền hàm V-line
Mini lifting dọc
Mini lifting dọc + Accu lifting + Căng chỉ Mint
Mini lifting dọc + Chỉ Elasticum
Misko + Chỉnh sửa cằm lẹm
Mỡ (Hút mỡ - Dưới cằm)
Mở góc mắt 2 vùng (mở góc mắt trong, mở góc mắt trên), lấy mỡ ROOF
Mở góc mắt dưới GL (Mở rộng đuôi mắt, Hạ mí mắt dưới)
Mở góc mắt sau + Hạ đuôi mắt
Mở góc mắt sau, mở góc mắt trước
Mở góc mắt trên, cắt mí mắt, chỉnh hình mắt, mở góc mắt sau, hạ đuôi mắt.
Mở góc mắt trong 45 độ, hạ xếch
Mở góc mắt trong, nhấn mí tự nhiên
Mở rộng góc mắt
Mở rộng góc mắt 2 vùng (mở rộng góc mắt sau, hạ xếch)
Mở rộng góc mắt 2 vùng (mở rộng góc mắt trong, mở rộng góc mắt dưới)
Mở rộng góc mắt kép, nâng cơ mặt, cấy mỡ mí mắt trên, cấy mỡ rãnh cười
Mở rộng góc mắt ngoài
Mở rộng góc mắt sau + hạ đuôi mắt
Mở rộng góc mắt sau và hạ đuôi mắt
Mở rộng góc mắt sau, hạ xếch
Mở rộng góc mắt trong
Mở rộng góc mắt trong, chỉnh hình mắt không rạch, nhấn mí tự nhiên.
Mở rộng góc mắt trong, nâng trán (cố định bằng chỉ)
Mở rộng góc mắt trong, phẫu thuật lại mở rộng góc mắt ngoài, mở rộng góc mắt dưới
Mở rộng góc mắt trong, phẫu thuật mí mắt trên, phẫu thuật mí mắt dưới, tái định vị mỡ dưới mắt, chỉnh hình góc mắt ngoài...
Motiva
Motiva_1 năm
Motiva_Co thắt bao xơ_Tháng thứ 6
Motiva_không hài lòng về dáng_tháng thứ 1
Motiva_không hài lòng về kích thước_tháng thứ 11
Motiva_tháng thứ 12 của mình
Motiva_tháng thứ 13 của mình
Motiva_tháng thứ 2 của mình
Motiva_tháng thứ 3 của mình
Motiva_tháng thứ 4
Motiva_tháng thứ 5 của mình
Motiva_tháng thứ 6
Motiva_tháng thứ 7 của mình
Motiva_tháng thứ 8
Motiva_tụt túi_tháng thứ 4 của mình
Mũi (phẫu thuật lại), thay silicone, đầu mũi (sụn vách ngăn, sụn sườn hiến tặng)
Mũi (sống mũi, đầu mũi)
Mũi (sống mũi, đầu mũi), căng chỉ.
Mũi (sống mũi, đầu mũi), đục xương
Mũi (sống mũi, đầu mũi), đục xương, mũi gồ, mũi vẹo
Mũi (sống mũi, đầu mũi), mũi gồ
Mũi (sống mũi, đầu mũi), mũi gồ, cấy mỡ toàn mặt.
Mũi (sống mũi, đầu mũi), mũi gồ, đục xương, hàm vuông, gò má, cằm, gọt xương vỏ.
Mũi (sống mũi, đầu mũi), mũi gồ, hạ cánh mũi, thu gọn cánh mũi (nâng cánh mũi)
Mũi (sống mũi, đầu mũi), mũi gồ, hàm vuông
Mũi (sống mũi, đầu mũi), mũi gồ, hàm vuông, cằm, gọt xương vỏ
Mũi (sống mũi, đầu mũi), mũi gồ, Laser Venus.
Mũi (sống mũi, đầu mũi), mũi gồ, mài xương
Mũi (sống mũi, đầu mũi), mũi gồ, mài xương, thu gọn cánh mũi (phẫu thuật cắt)
Mũi (sống mũi, đầu mũi), mũi gồ, mũi lân
Mũi (sống mũi, đầu mũi), mũi gồ, mũi lân, mũi ngắn.
Mũi (sống mũi, đầu mũi), mũi gồ, mũi lân, sụn vách ngăn, sụn tai, silicone (4mm)
Mũi (sống mũi, đầu mũi), mũi gồ, mũi lệch, thu gọn xương mũi
Mũi (sống mũi, đầu mũi), mũi gồ, mũi lệch, thu gọn xương mũi, thu gọn cánh mũi (phẫu thuật cắt)
Mũi (sống mũi, đầu mũi), mũi gồ, mũi ngắn
Mũi (sống mũi, đầu mũi), mũi gồ, mũi ngắn, mũi lân
Mũi (sống mũi, đầu mũi), mũi gồ, mũi tên
Mũi (sống mũi, đầu mũi), mũi gồ, mũi tên, gò má, cấy mỡ toàn mặt.
Mũi (sống mũi, đầu mũi), mũi gồ, mũi tên, sụn tai, sụn vách ngăn, silicone (6mm)
Mũi (sống mũi, đầu mũi), mũi gồ, mũi vẹo, mũi tên, cân mạc da đầu
Mũi (sống mũi, đầu mũi), mũi gồ, sụn vách ngăn, sụn tai, silicone (4mm), miếng độn cằm
Mũi (sống mũi, đầu mũi), mũi gồ, thu gọn cánh mũi (không phẫu thuật)
Mũi (sống mũi, đầu mũi), mũi gồ, thu gọn cánh mũi (phẫu thuật)
Mũi (sống mũi, đầu mũi), mũi gồ, thu gọn xương mũi
Mũi (sống mũi, đầu mũi), mũi gồ, thu gọn xương mũi, hàm vuông, gò má, cằm.
Mũi (sống mũi, đầu mũi), mũi gồ, thu gọn xương mũi, mũi lân, gò má, hàm vuông, cằm, gọt xương vỏ, cấy mỡ (má trước, rãnh cười, trán, thái dương)
Mũi (sống mũi, đầu mũi), mũi lân, hạ trụ mũi, thu gọn cánh mũi (cắt), sụn sườn tự thân
Mũi (sống mũi, đầu mũi), mũi lân, thu gọn cánh mũi (cắt cánh), sụn tai, sụn vách ngăn, silicone (4.5mm)
Mũi (sống mũi, đầu mũi), mũi lân.
Mũi (sống mũi, đầu mũi), mũi tên, mũi gồ, hạ lỗ mũi, cuốn mũi dưới, cân mạc da đầu, thu gọn cánh mũi (cắt), không dùng sụn nhân tạo
Mũi (sống mũi, đầu mũi), mũi tên, mũi lân, mũi gồ, thu gọn xương mũi
Mũi (sống mũi, đầu mũi), mũi tên, mũi lân, sụn tai, sụn vách ngăn, silicon (4.5mm), cằm
Mũi (sống mũi, đầu mũi), mũi tên, thu gọn xương mũi, hàm vuông, cằm, gọt xương vỏ.
Mũi (sống mũi, đầu mũi), mũi vẹo, mũi gồ, mũi lân, sụn tai, AlloDerm, silicone (4.5mm)
Mũi (sống mũi, đầu mũi), mũi vẹo, thu gọn xương mũi
Mũi (sống mũi, đầu mũi), mũi vẹo, thu gọn xương mũi, mũi ngắn, sụn sườn tự thân, sụn tai, silicone (4mm)
Mũi (sống mũi, đầu mũi), mũi vẹo.
Mũi (sống mũi, đầu mũi), thu gọn cánh mũi (cắt), mũi gồ, thu gọn xương mũi.
Mũi (sống mũi, đầu mũi), thu gọn cánh mũi (không phẫu thuật)
Mũi (sống mũi, đầu mũi), thu gọn xương mũi
Mũi (sống mũi, đầu mũi), thu gọn xương mũi, mũi gồ, mũi dài, mũi lân, sụn tai, vách ngăn, da tự thân (cân cơ da đầu)
Mũi (sống mũi, đầu mũi), thu gọn xương mũi, mũi gồ, mũi lân, silicone (5mm), tiêm tan filler
Mũi (sống mũi, đầu mũi), thu gọn xương mũi, mũi gồ, mũi lân, sụn tai, vách ngăn.
Mũi (sống mũi, đầu mũi), thu gọn xương mũi, mũi gồ, mũi lân, sụn vách ngăn, sụn tai, silicone (4mm)
Mũi (sống mũi, đầu mũi), thu gọn xương mũi, mũi gồ, mũi lân, thu gọn cánh mũi (phẫu thuật cắt), sụn vách ngăn, sụn sườn hiến tặng.
Mũi (sống mũi, đầu mũi), thu gọn xương mũi, mũi gồ, mũi tên, không dùng vật liệu nhân tạo, sụn vách ngăn, sụn tai
Mũi (sống mũi, đầu mũi), thu gọn xương mũi, mũi gồ, mũi tên, mũi lân, sụn tai, vách ngăn, silicon (4mm)
Mũi (sống mũi, đầu mũi), thu gọn xương mũi, mũi lân.
Mũi (sống mũi, đầu mũi), thu gọn xương mũi, mũi ngắn, sụn tai, sụn vách ngăn, sụn sườn hiến tặng, silicon (3.5mm)
Mũi (sống mũi, đầu mũi), thu gọn xương mũi, mũi ngắn, sụn vách ngăn, sụn tai, silicone (3.5mm)
Mũi (sống mũi, đầu mũi), thu gọn xương mũi, mũi to, mũi ngắn, sụn vách ngăn
Mũi (sống mũi, đầu mũi), thu gọn xương mũi, mũi to, thu gọn cánh mũi (cắt), sụn vách ngăn, sụn tai, sụn sườn tự thân, silicone (3mm)
Mũi (sống mũi, đầu mũi), vách ngăn mũi, cân da đầu
Mũi (tái phẫu thuật)
Mũi cho người miệng hô, phẫu thuật nâng mũi chức năng, mũi lân, mũi vẹo, mũi dài, mũi rồng.
Mũi dài
Mũi dài, mũi to, chỉnh sửa trụ mũi, mài xương, mũi gồ, thu gọn cánh mũi.
Mũi diều hâu
Mũi gồ, mũi lân
Mũi gồ, mũi to, mũi lệch
Mũi lân
Mũi lân, mài xương, mũi gồ, chỉnh góc mũi môi
Mũi lân, mũi dài
Mũi lân, mũi dài, mũi gồ, mũi vẹo
Mũi lân, mũi dài, mũi khoằm
Mũi lân, mũi dài, mũi rồng
Mũi lân, mũi dài, mũi yên ngựa, góc mũi môi, chỉnh sửa trụ mũi.
Mũi lân, mũi diều hâu, mũi dài.
Mũi lân, mũi diều hâu, mũi rồng
Mũi lân, mũi gồ
Mũi lân, mũi gồ, chỉnh sửa trụ mũi, căng chỉ Peach, tiêm filler khóe môi
Mũi lân, mũi gồ, đầu mũi chảy xệ, mài xương, góc nhân trung, chỉnh sửa trụ mũi.
Mũi lân, mũi gồ, mài xương, chỉnh sửa trụ mũi.
Mũi lân, mũi gồ, mũi dài, chỉnh sửa trụ mũi, chỉnh sửa góc nhân trung.
Mũi lân, mũi gồ, mũi lệch, chỉnh sửa góc nhân trung.
Mũi lân, mũi gồ, mũi lệch, mũi dài
Mũi lân, mũi gồ, mũi lệch, phẫu thuật góc mũi môi
Mũi lân, mũi lệch
Mũi lân, mũi lệch, mũi dài, chỉnh sửa trụ mũi
Mũi lân, mũi ngắn
Mũi lân, mũi ngắn, mũi cho người miệng hô, thu gọn cánh mũi.
Mũi lân, mũi ngắn, mũi gồ, chỉnh sửa góc nhân trung.
Mũi lân, mũi ngắn, mũi vẹo, chỉnh sửa góc nhân trung.
Mũi lân, mũi ngắn, thu gọn cánh mũi
Mũi lân, mũi thấp
Mũi ngắn (phẫu thuật lại), mũi lệch
Mũi ngắn (phẫu thuật lại), mũi lệch, chỉnh sửa trụ mũi, thu gọn cánh mũi
Mũi ngắn (tái phẫu thuật), mũi bị kẹp, mũi vẹo, chỉnh sửa trụ mũi
Mũi ngắn, chỉnh sửa góc nhân trung, thu gọn cánh mũi.
Mũi ngắn, mũi hếch, mũi lân.
Mũi ngắn, mũi lân, mũi gồ
Mũi ngắn, mũi to, thu gọn cánh mũi
Mũi ngắn, mũi vẹo
Mũi to, mũi dài, chỉnh sửa góc mũi môi, mũi gồ.
Mũi to, mũi gồ, mài xương.
Mũi to, mũi ngắn, chỉnh sửa trụ mũi, mài xương.
Mũi to, mũi ngắn, mũi lệch, chỉnh sửa trụ mũi.
Mũi to, thu gọn cánh mũi, mũi ngắn
Mũi vẹo, nâng mũi chức năng, thu gọn cánh mũi
Mũi, không dùng sụn nhân tạo, đầu mũi (sụn vách ngăn), chỉnh sửa mũi thấp.
Mũi, không sụn nhân tạo, đầu mũi (sụn vách ngăn)
Mũi, không sụn nhân tạo, đầu mũi (sụn vách ngăn), 2 loại phẫu thuật chức năng
Mũi, không sụn nhân tạo, đầu mũi (sụn vách ngăn), chỉnh mũi gồ, mài xương.
Mũi, không sụn nhân tạo, đầu mũi (sụn vách ngăn), thu gọn cánh mũi, thu nhỏ đầu mũi, chỉnh sửa mũi gồ...
Mũi, silicon, chỉnh sửa mũi thấp, loại bỏ filler
Mũi, silicone, đầu mũi (sụn sườn hiến tặng), chỉnh sửa mũi ngắn
Mũi, silicone, đầu mũi (sụn tai), chỉnh hình mũi gồ, thắt sụn
Mũi, silicone, đầu mũi (sụn vách ngăn, sụn tai), thu gọn cánh mũi, chỉnh sửa mũi gồ, chỉnh sửa mũi dài...
Mũi, silicone, đầu mũi (sụn vách ngăn)
Mũi, silicone, đầu mũi (sụn vách ngăn), 2 loại chức năng
Mũi, silicone, đầu mũi (sụn vách ngăn), chỉnh hình mũi gồ, mài xương.
Mũi, silicone, đầu mũi (sụn vách ngăn), chỉnh sửa mũi gồ
Mũi, silicone, đầu mũi (sụn vách ngăn), chỉnh sửa mũi gồ, chỉnh sửa mũi thấp, chỉnh sửa mũi dài...
Mũi, silicone, đầu mũi (sụn vách ngăn), chỉnh sửa mũi gồ, chỉnh sửa mũi thấp...
Mũi, silicone, đầu mũi (sụn vách ngăn), chỉnh sửa mũi ngắn
Mũi, silicone, đầu mũi (sụn vách ngăn), chỉnh sửa mũi thấp
Mũi, silicone, đầu mũi (sụn vách ngăn), thu gọn cánh mũi, mài xương.
Nâng chỉ Epithicon (rãnh cười, đường viền hàm) + Tiêm filler cằm + Botox thon gọn hàm
Nâng cơ
Nâng cơ Blue Rose (đường viền hàm)
Nâng cơ Blue Rose (rãnh cười, đường viền hàm)
Nâng cơ cổ
Nâng cơ DA
Nâng cơ đường viền hàm V-line
Nâng cơ đường viền hàm V-line + Căng chỉ Mint
Nâng cơ Epiticon (rãnh cười, đường viền hàm)
Nâng cơ Facella
Nâng cơ mặt giữa
Nâng cơ mặt giữa + AccuSculpt + Elasticum
Nâng cơ mặt giữa + Endotine
Nâng cơ nọng cằm, hút mỡ nọng cằm.
Nâng cơ Pacella, tiêm Fit, Shurink đường nét cơ thể.
Nâng cơ Peach Silhouette
Nâng cơ Peach, filler rãnh cười
Nâng cơ Peach, nâng cơ đường viền hàm
Nâng cơ Peach, nâng cơ V-line
Nâng cơ Peach, nâng cơ V-line, Juvelook Volume
Nâng cơ Peach, nâng cơ V-line, nâng cơ mini
Nâng cơ Peach, nâng cơ V-line, tiêm filler rãnh cười
Nâng cơ Peach, nâng cơ V-Silhouette
Nâng cơ rãnh cười (Onda)
Nâng cơ rãnh cười + vùng má chảy xệ (Radiesse)
Nâng cơ rãnh cười không phẫu thuật
Nâng cơ rãnh cười không phẫu thuật (Chỉ JAMBER, filler rãnh cười)
Nâng cơ rãnh cười không phẫu thuật (Chỉ JAMBER, filler rãnh cười), filler trán.
Nâng cơ Shurink, nâng cơ InMode
Nâng cơ Silhouette
Nâng cơ toàn mặt + Accu Lifting
Nâng cơ Ultherapy
Nâng cơ V-line
Nâng cơ V-line đường mổ (SMAS) + Căng chỉ Mint
Nâng cơ V-line đường mổ + Accu lifting
Nâng cơ V-line đường mổ + Accusculpt
Nâng cơ V-line Peach Silhouette
Nâng cơ V-line phẫu thuật
Nâng cơ V-line, hút mỡ nọng cằm & khâu thắt cơ
Nâng cơ V-line, nâng cơ mini
Nâng cơ V-line, nâng cơ nọng cằm
Nâng cơ V-line, nâng cơ nọng cằm, nâng cơ mini
Nâng cơ V-line, tiêm filler má.
Nâng cơ xóa nếp nhăn rãnh cười (Radiesse)
Nâng cung chân mày
Nâng cung chân mày liên kết tự nhiên, cấy mỡ mí mắt trên
Nâng cung chân mày, cắt mí dưới, tái phẫu thuật chỉnh hình mắt nhấn mí tự nhiên.
Nâng cung chân mày, nhấn mí tự nhiên, lấy mỡ mí mắt.
Nâng cung chân mày, tái cấu trúc mỡ mí mắt dưới
Nâng cung mày
Nâng cung mày dưới
Nâng cung mày dưới + Cắt mí dưới
Nâng cung mày dưới + Nhấn mí
Nâng cung mày dưới, căng da trán, tái sắp xếp mỡ dưới mắt.
Nâng cung mày dưới, cắt mí dưới, nâng trán (cố định bằng chỉ), Botox (trán, vùng mắt)
Nâng cung mày dưới, nâng cơ trán, nhấn mí tự nhiên
Nâng cung mày dưới, tái cấu trúc mỡ mí dưới, nâng trán
Nâng cung mày đính kết tự nhiên
Nâng cung mày liên kết tự nhiên, mở rộng góc mắt trên.
Nâng cung mày liên kết tự nhiên, nâng trán.
Nâng cung mày, cấy mỡ hốc mắt
Nâng cung mày, nâng cơ mặt giữa
Nâng cung mi dưới + Nâng cung mày
Nâng mông (Chỉ Epiticon + Hút mỡ + Filler)
Nâng mông (Epiticon + Hút mỡ + Cấy mỡ + Filler nâng mông)
Nâng mông (Epiticon + Hút mỡ + Cấy mỡ + Filler)
Nâng mông (Epiticon + Hút mỡ + Cấy mỡ)
Nâng mông (Epiticon + Hút mỡ)
Nâng mũi
Nâng mũi (sống mũi)
Nâng mũi [Sống mũi + Đầu mũi]
Nâng mũi bằng sụn nhân tạo thiết kế riêng
Nâng mũi bằng sụn nhân tạo tùy chỉnh, chỉnh sửa mũi gồ
Nâng mũi bằng sụn sườn tự thân (mũi lân, mũi ngắn)
Nâng mũi chức năng
Nâng mũi cơ bản
Nâng mũi cơ bản (sống mũi + đầu mũi)
Nâng mũi cơ bản + chỉnh mũi ngắn + chỉnh sửa mũi lân + thu gọn cánh mũi
Nâng mũi cơ bản + Chỉnh sửa mũi gồ + Thu gọn đầu mũi
Nâng mũi gồ
Nâng mũi không phẫu thuật
Nâng mũi không sụn nhân tạo
Nâng mũi không sụn nhân tạo (mũi to, mũi dài, mũi gồ, mũi lệch, sụn sườn tự thân)
Nâng mũi không sụn nhân tạo (mũi to, mũi gồ, mũi dài)
Nâng mũi không sụn nhân tạo (mũi to, mũi lệch, mũi gồ, thu gọn cánh mũi)
Nâng mũi không sụn nhân tạo, chỉnh hình mũi rộng
Nâng mũi không sụn nhân tạo, chỉnh hình mũi rộng (phẫu thuật đục xương)
Nâng mũi không sụn nhân tạo, chỉnh sửa mũi gồ
Nâng mũi không sụn nhân tạo, chỉnh sửa mũi gồ, chỉnh sửa mũi ngắn.
Nâng mũi không sụn nhân tạo, chỉnh sửa mũi gồ, chỉnh sửa trụ mũi, thu gọn cánh mũi, treo cánh mũi.
Nâng mũi không sụn nhân tạo, chỉnh sửa mũi gồ, mài xương mũi.
Nâng mũi không sụn nhân tạo, chỉnh sửa mũi gồ.
Nâng mũi không sụn nhân tạo, chỉnh sửa mũi lân, chỉnh sửa mũi rộng (mài/đục xương)
Nâng mũi không sụn nhân tạo, chỉnh sửa mũi ngắn, chỉnh sửa mũi lân
Nâng mũi không sụn nhân tạo, chỉnh sửa mũi rộng (mài xương)
Nâng mũi không sụn nhân tạo, chỉnh sửa mũi to, thu gọn cánh mũi, chỉnh sửa mũi rộng, mài xương.
Nâng mũi không sụn nhân tạo, chỉnh sửa mũi to, thu gọn cánh mũi.
Nâng mũi không sụn nhân tạo, mài xương mũi, thu gọn cánh mũi
Nâng mũi không sụn nhân tạo, mài xương, chỉnh sửa mũi gồ.
Nâng mũi không sụn nhân tạo, mũi gồ, mũi dài, mũi rồng
Nâng mũi không sụn nhân tạo, mũi to, mũi gồ, mũi dài
Nâng mũi không sụn nhân tạo, mũi to, mũi gồ, mũi dài, góc nhân trung.
Nâng mũi không sụn nhân tạo, mũi to, mũi gồ, mũi vẹo
Nâng mũi không sụn nhân tạo, mũi to, mũi gồ, thu gọn cánh mũi.
Nâng mũi không sụn nhân tạo, phẫu thuật nâng mũi chức năng, mũi to, mũi gồ, mũi dài.
Nâng mũi không sụn nhân tạo, thu gọn cánh mũi.
Nâng mũi không sụn nhân tạo, thu gọn đầu mũi, chỉnh sửa mũi gồ, nâng mũi chức năng.
Nâng mũi không sụn nhân tạo, thu gọn đầu mũi, chỉnh sửa mũi gồ.
Nâng mũi lần đầu
Nâng mũi nam giới, mài xương, nâng mũi điều trị viêm mũi, sụn sườn hiến tặng.
Nâng mũi nam giới, mũi ngắn, sống mũi rộng, nâng mũi thẩm mỹ điều trị viêm mũi.
Nâng mũi nam giới, mũi vẹo, tạo hình đầu mũi
Nâng mũi nam giới, nâng mũi thẩm mỹ điều trị viêm mũi
Nâng mũi nam giới, phẫu thuật đầu mũi, thu gọn cánh mũi.
Nâng mũi nam giới, phẫu thuật lại mũi, chỉnh sửa mũi gồ, chỉnh sửa mũi lân.
Nâng mũi nam giới, phẫu thuật lại mũi, mũi ngắn, thu gọn cánh mũi.
Nâng mũi nam giới, sửa lại mũi, sụn sườn hiến tặng.
Nâng mũi nam giới, sửa mũi hỏng, mũi ngắn, mũi lân.
Nâng mũi nam giới, thu gọn cánh mũi, sống mũi rộng, nâng mũi thẩm mỹ điều trị viêm mũi.
Nâng mũi nam giới: Mũi thấp + Mũi ngắn + Mũi gồ
Nâng mũi nam và thu gọn cánh mũi
Nâng mũi nam, mài xương, mũi lân, sụn tai.
Nâng mũi nam: Mũi gồ + Sống mũi rộng
Nâng mũi nam: Sửa lại mũi + Mũi lân + Mũi ngắn
Nâng mũi sửa lại, sụn sườn tự thân, mài xương, mũi co rút.
Nâng mũi sụn sườn tự thân (phẫu thuật lại), chỉnh sửa trụ mũi
Nâng mũi sụn sườn tự thân (phẫu thuật lại), mũi lân, mũi yên ngựa, chỉnh sửa góc mũi môi.
Nâng mũi sụn sườn tự thân (phẫu thuật lại), mũi lệch, chỉnh sửa trụ mũi.
Nâng mũi sụn sườn tự thân (phẫu thuật lại), mũi ngắn, chỉnh sửa góc mũi môi
Nâng mũi sụn sườn tự thân (phẫu thuật lại), mũi ngắn, chỉnh sửa trụ mũi
Nâng mũi sụn sườn tự thân (phẫu thuật lại), mũi ngắn, mũi lân, chỉnh sửa trụ mũi
Nâng mũi sụn sườn tự thân (phẫu thuật lại), mũi vẹo, chỉnh sửa góc nhân trung
Nâng mũi sụn sườn tự thân (tái phẫu thuật), mũi ngắn, mũi lệch, chỉnh sửa trụ mũi
Nâng mũi sụn sườn tự thân (tái phẫu thuật), mũi to, mũi lệch, mũi dài.
Nâng mũi sụn sườn tự thân, mũi gồ, chỉnh sửa miệng hô
Nâng mũi sụn sườn tự thân, mũi to, mũi ngắn, mũi rồng
Nâng mũi thẩm mỹ và điều trị viêm mũi
Nâng mũi thu gọn cánh mũi
Nâng mũi, chỉnh sửa mũi gồ
Nâng mũi, chỉnh sửa mũi gồ, mài xương, sụn sườn tự thân.
Nâng mũi, chỉnh sửa mũi gồ, nâng mũi chức năng
Nâng mũi, chỉnh sửa mũi lân, chỉnh sửa mũi gồ
Nâng mũi, chỉnh sửa mũi lân, nâng mũi chức năng, chỉnh sửa mũi gồ
Nâng mũi, chỉnh sửa mũi to, nâng mũi chức năng
Nâng mũi, chỉnh sửa mũi to, thu gọn cánh mũi
Nâng mũi, mài xương, chỉnh sửa mũi gồ
Nâng mũi, mài xương, chỉnh sửa mũi lân
Nâng mũi, nâng mũi chức năng
Nâng mũi, nâng mũi chức năng, chỉnh sửa mũi lân
Nâng mũi, phẫu thuật mũi lân, chỉnh sửa mũi ngắn
Nâng mũi, phẫu thuật sửa mũi
Nâng mũi, thêm sụn sườn hiến tặng, chỉnh sửa mũi rộng (đục xương)
Nâng mũi, thu gọn cánh mũi
Nâng mũi, thu gọn cánh mũi, thu nhỏ đầu mũi
Nâng mũi, thu nhỏ cánh mũi
Nâng ngực
Nâng ngực (túi độn)
Nâng ngực Bellagel
Nâng ngực chảy xệ
Nâng ngực dáng giọt nước (255cc)
Nâng ngực dáng giọt nước (280cc)
Nâng ngực dáng giọt nước (Mentor 270cc)
Nâng ngực dáng giọt nước (Mentor 295cc)
Nâng ngực dáng giọt nước (Polytech 275cc)
Nâng ngực dáng giọt nước (Polytech 300cc)
Nâng ngực dáng giọt nước (Polytech 350cc)
Nâng ngực dáng giọt nước (Sebbin 325cc)
Nâng ngực dáng giọt nước (Silimed 275cc)
Nâng ngực giọt nước (375cc)
Nâng ngực Mentor
Nâng ngực Motiva
Nâng ngực túi tròn
Nâng ngực, thẩm mỹ quầng vú
Nâng ngực, treo ngực
Nâng ngực. Treo ngực sa trễ.
Nâng trán
Nâng trán (cố định bằng chỉ)
Nâng trán (cố định bằng chỉ), cấy mỡ toàn mặt, độn rãnh cười (sụn nhân tạo)
Nâng trán (Endotine)
Nâng trán Junior
Nâng trán Junior, nhấn mí tự nhiên, mở rộng góc mắt trên.
Nâng trán nâng cung mày
Nâng trán người cao tuổi, nâng cung mày dưới, nhấn mí tự nhiên.
Nâng trán nội soi
Nâng trán, cắt mí dưới, treo cung mày dưới, cấy mỡ (dưới mắt)
Nâng trán, nâng cung mày
Nâng trán, nhấn mí tự nhiên
Nâng trán, phẫu thuật lại bằng phương pháp rạch
Nâng trán, phẫu thuật tạo hình khuôn mặt, hút mỡ mặt, độn cằm
Nâng trán, treo chân mày, cắt mí dưới, căng da mặt giữa
Nhấn mí (chỉnh hình mắt), mở rộng góc mắt trong.
Nhấn mí (kết dính tự nhiên), mở rộng góc mắt trong
Nhấn mí (không rạch), treo cung mày dưới, cắt mí dưới.
Nhấn mí (liên kết tự nhiên)
Nhấn mí (luồn chỉ)
Nhấn mí (luồn chỉ), nâng cung mày dưới, cắt mí dưới
Nhấn mí (luồn chỉ), nâng trán (cố định bằng chỉ), phẫu thuật mí dưới.
Nhấn mí (phẫu thuật lại), chỉnh hình mắt
Nhấn mí (phẫu thuật lại), chỉnh hình mắt, mở rộng góc mắt dưới, phục hồi góc mắt sau
Nhấn mí (phẫu thuật lại), chỉnh hình mắt, mở rộng góc mắt trên
Nhấn mí (phẫu thuật lại), mở rộng góc mắt trên
Nhấn mí (phẫu thuật lại), mở rộng góc mắt trong, tái định vị mỡ dưới mắt, lấy mỡ ROOF...
Nhấn mí (phương pháp luồn chỉ)
Nhấn mí (phương pháp luồn chỉ) + Mở rộng góc mắt trong
Nhấn mí (phương pháp luồn chỉ) + Mở rộng góc mắt trong + Lấy mỡ bọng mắt (TCA)
Nhấn mí (phương pháp nhấn mí - mắt phải)
Nhấn mí (tái phẫu thuật), chỉnh cơ nâng mi, lấy mỡ ROOF
Nhấn mí + Cắt mí dưới
Nhấn mí + Mở góc mắt trong + Mở góc mắt ngoài + Hạ góc mắt dưới
Nhấn mí + Mở rộng đuôi mắt + Hạ mắt xếch
Nhấn mí + Mở rộng góc mắt trên
Nhấn mí + Mở rộng góc mắt trên + Mở rộng góc mắt sau và dưới
Nhấn mí + Mở rộng góc mắt trong
Nhấn mí + Mở rộng góc mắt trong + Mở rộng góc mắt ngoài + Hạ đuôi mắt
Nhấn mí + mở rộng góc mắt trong + mở rộng góc mắt ngoài + hạ mắt xếch
Nhấn mí + Nâng cung mày
Nhấn mí + nâng cung mày + cắt mí dưới
Nhấn mí dính hạ bì (tái phẫu thuật), chỉnh hình mắt
Nhấn mí dính hạ bì (tái phẫu thuật), mở góc mắt
Nhấn mí dính hạ bì, chỉnh hình mắt
Nhấn mí dính hạ bì, chỉnh hình mắt, cấy mỡ mí mắt trên, tái cấu trúc mỡ mí mắt dưới.
Nhấn mí dính hạ bì, chỉnh hình mắt, cấy mỡ mí mắt trên.
Nhấn mí dính hạ bì, chỉnh hình mắt, mở rộng góc mắt trong
Nhấn mí dính hạ bì, chỉnh hình mắt, mở rộng góc mắt trong, mở rộng góc mắt ngoài, hạ đuôi mắt, sửa mũi to, sửa mũi ngắn, mài xương mũi, chỉnh hình trụ mũi.
Nhấn mí dính hạ bì, chỉnh hình mắt, mở rộng góc mắt trong, mở rộng góc mắt trên.
Nhấn mí dính hạ bì, mở góc mắt 45 độ (trong và trên)
Nhấn mí dính hạ bì, mở góc mắt trong, mở góc mắt trên
Nhấn mí dính hạ bì, mở góc mắt, điều chỉnh cơ nâng mi
Nhấn mí dính hạ bì, mở rộng góc mắt
Nhấn mí dính hạ bì, mở rộng góc mắt trong
Nhấn mí dính hạ bì, nâng cung mày dưới.
Nhấn mí dính trung bì (tái phẫu thuật), mở góc mắt trong, tái cấu trúc mỡ dưới mắt
Nhấn mí dính trung bì, chỉnh hình mắt, chỉnh mắt không đều.
Nhấn mí đính cơ da (sửa lại), mở rộng góc mắt sau và hạ đuôi mắt
Nhấn mí đính cơ, chỉnh hình mắt, mở rộng góc mắt trong 45 độ, mở rộng khóe mắt.
Nhấn mí đính da
Nhấn mí đính da (tái phẫu thuật)
Nhấn mí đính da (tái phẫu thuật), chỉnh hình sụp mí, mở rộng góc mắt trong và trên.
Nhấn mí đính da (tái phẫu thuật), mở rộng góc mắt trong
Nhấn mí đính da, treo cung mày dưới, cắt mí dưới.
Nhấn mí đính hạ bì (Chỉnh sửa mí bị tuột)
Nhấn mí đính hạ bì, chỉnh hình mắt, mở rộng góc mắt trong và trên.
Nhấn mí đính hạ bì, chỉnh hình mắt, mở rộng góc mắt.
Nhấn mí đính hạ bì, chỉnh hình sụp mí, mở góc mắt trong, mở góc mắt ngoài, tái định vị mỡ dưới mắt, mũi gồ, mũi ngắn, mài xương.
Nhấn mí đính hạ bì, mở góc mắt trên
Nhấn mí đính trung bì, chỉnh hình mắt, mở rộng góc mắt trong và trên 45 độ
Nhấn mí mắt nam
Nhấn mí tự nhiên
Nhấn mí tự nhiên mở góc mắt trên
Nhấn mí tự nhiên, chỉnh hình mắt
Nhấn mí tự nhiên, chỉnh hình mắt không phẫu thuật
Nhấn mí tự nhiên, chỉnh hình mắt không phẫu thuật, mở góc mắt trên.
Nhấn mí tự nhiên, chỉnh hình mắt không phẫu thuật, mở rộng góc mắt trong, mở rộng góc mắt ngoài, hạ đuôi mắt.
Nhấn mí tự nhiên, chỉnh hình mắt không phẫu thuật, mở rộng góc mắt trong.
Nhấn mí tự nhiên, chỉnh hình mắt không rạch da
Nhấn mí tự nhiên, chỉnh hình mắt, Bling Eye
Nhấn mí tự nhiên, chỉnh hình mắt, nâng cung chân mày
Nhấn mí tự nhiên, chỉnh hình sụp mí không phẫu thuật, mở rộng góc mắt trong
Nhấn mí tự nhiên, chỉnh hình sụp mí, mở rộng góc mắt trong, cấy mỡ mí mắt trên.
Nhấn mí tự nhiên, chỉnh hình sụp mí, mở rộng góc mắt trong, mở rộng góc mắt trên.
Nhấn mí tự nhiên, chỉnh hình sụp mí, tái cấu trúc mỡ bọng mắt
Nhấn mí tự nhiên, điều chỉnh cơ nâng mi, mở rộng góc mắt trong
Nhấn mí tự nhiên, lấy mỡ, mở rộng góc mắt trên
Nhấn mí tự nhiên, mở góc mắt trên, cấy mỡ mí mắt trên
Nhấn mí tự nhiên, mở góc mắt trên, nâng cung chân mày
Nhấn mí tự nhiên, mở góc mắt trên, nâng trán Junior
Nhấn mí tự nhiên, mở góc mắt trên, tái cấu trúc mỡ mí dưới
Nhấn mí tự nhiên, mở góc mắt trong
Nhấn mí tự nhiên, mở góc mắt trong, mở góc mắt ngoài, hạ đuôi mắt.
Nhấn mí tự nhiên, mở góc mắt trong, mở góc mắt trên, căng da trán.
Nhấn mí tự nhiên, mở góc mắt trong, mở góc mắt trên.
Nhấn mí tự nhiên, mở rộng góc mắt sau và dưới, nâng cơ trán
Nhấn mí tự nhiên, mở rộng góc mắt sau, hạ xếch
Nhấn mí tự nhiên, mở rộng góc mắt trên
Nhấn mí tự nhiên, mở rộng góc mắt trên, lấy mỡ bọng mắt, cấy mỡ.
Nhấn mí tự nhiên, mở rộng góc mắt trên, lấy mỡ mí mắt
Nhấn mí tự nhiên, mở rộng góc mắt trên, mở rộng góc mắt ngoài, hạ mắt xếch.
Nhấn mí tự nhiên, mở rộng góc mắt trên, mở rộng góc mắt trong
Nhấn mí tự nhiên, mở rộng góc mắt trên, tái cấu trúc mỡ bọng mắt, cấy mỡ gò má trước.
Nhấn mí tự nhiên, mở rộng góc mắt trên, tái cấu trúc mỡ dưới mắt.
Nhấn mí tự nhiên, mở rộng góc mắt trên, treo chân mày
Nhấn mí tự nhiên, mở rộng góc mắt trong
Nhấn mí tự nhiên, mở rộng góc mắt trong, cấy mỡ mí mắt trên, tái định vị mỡ mí mắt dưới.
Nhấn mí tự nhiên, mở rộng góc mắt trong, mở rộng góc mắt trên
Nhấn mí tự nhiên, mở rộng góc mắt trong, mở rộng góc mắt trên, mở rộng góc mắt ngoài, mở rộng góc mắt dưới.
Nhấn mí tự nhiên, mở rộng góc mắt trong.
Nhấn mí tự nhiên, nâng cung chân mày
Nhấn mí tự nhiên, nâng cung chân mày, lấy mỡ mí dưới, cấy mỡ mí trên, cấy mỡ mí dưới.
Nhấn mí tự nhiên, nâng cung chân mày, mở rộng góc mắt trên, mở rộng góc mắt ngoài.
Nhấn mí tự nhiên, nâng cung mày
Nhấn mí tự nhiên, nâng trán
Nhấn mí tự nhiên, nâng trán Junior
Nhấn mí tự nhiên, tái cấu trúc mỡ mí dưới, cấy mỡ mí mắt trên, cấy mỡ mí mắt dưới
Nhấn mí tự nhiên, tái cấu trúc mỡ mí dưới, nâng cung chân mày
Nhấn mí tự nhiên, tái định vị mỡ mí dưới
Nhấn mí tự nhiên, treo cung chân mày, mở rộng góc mắt trong, mở rộng góc mắt trên
Nhấn mí tự nhiên, treo cung chân mày, tái cấu trúc mỡ mí dưới, cấy mỡ gò má trước.
Nhấn mí, cắt mí dưới
Nhấn mí, cấy mỡ (gò má trước)
Nhấn mí, chỉnh cơ nâng mi, lấy mỡ ROOF
Nhấn mí, chỉnh cơ nâng mi, mở rộng 2 góc mắt (mở rộng góc mắt trong, mở rộng góc mắt trên)
Nhấn mí, chỉnh hình dáng mắt, mở rộng góc mắt trong bên trái
Nhấn mí, chỉnh hình dáng mắt, quặm mi, kéo dài đường rạch, lấy mỡ ROOF...
Nhấn mí, chỉnh hình mắt
Nhấn mí, chỉnh hình mắt, chỉnh trục mở rộng góc mắt trong
Nhấn mí, chỉnh hình mắt, combo 3 loại mở rộng góc mắt (mở rộng góc mắt trong, mở rộng góc mắt ngoài, hạ đuôi mắt)...
Nhấn mí, chỉnh hình mắt, mở rộng góc mắt 2 vùng (mở rộng góc mắt trong, mở rộng góc mắt trên), lấy mỡ ROOF...
Nhấn mí, chỉnh hình mắt, mở rộng góc mắt trên
Nhấn mí, chỉnh hình mắt, mở rộng góc mắt trên, lấy mỡ ROOF
Nhấn mí, chỉnh hình mắt, mở rộng góc mắt trong
Nhấn mí, chỉnh hình mắt, mở rộng góc mắt trong, quặm mi, lấy mỡ ROOF...
Nhấn mí, chỉnh hình sụp mí, mở rộng góc mắt 2 vùng (mở rộng góc mắt trong, chỉnh hình sụp mí)
Nhấn mí, GL Under-teu-im (Mở góc mắt sau, Hạ xếch)
Nhấn mí, lấy mỡ ROOF
Nhấn mí, mở góc mắt 3 vùng (mở góc mắt trong, mở góc mắt ngoài, hạ đuôi mắt), tái cấu trúc mỡ dưới mắt...
Nhấn mí, mở góc mắt 4 vùng (mở góc mắt trong, mở góc mắt trên, mở góc mắt ngoài, mở góc mắt dưới), quặm mi...
Nhấn mí, mở góc mắt trên
Nhấn mí, mở góc mắt trong, mở góc mắt ngoài, hạ đuôi mắt
Nhấn mí, mở góc mắt trong, mũi, silicon, đầu mũi (sụn vách ngăn), chỉnh sửa mũi vẹo...
Nhấn mí, mở rộng góc mắt dưới GL (mở rộng góc mắt ngoài, hạ đuôi mắt), tái cấu trúc mỡ mí dưới...
Nhấn mí, mở rộng góc mắt trong
Nhấn mí, mở rộng góc mắt trong (điều chỉnh trục)
Nhấn mí, mở rộng góc mắt trong, điều chỉnh dáng mắt không phẫu thuật.
Núm vú bị tụt
One Day Heat Slim
Peach Lifting
Peach Lifting, V-Lifting, khâu thắt cơ nọng cằm, hút mỡ nọng cằm, tiêm filler cằm
Peach Silhouette, nâng cơ Silhouette V-line
Peach Silhouette, nâng cơ V-line
Peach Silhouette, nâng cơ V-line.
Phẫu thuật cằm + Phẫu thuật mắt + Phẫu thuật mũi + Cấy mỡ (trán)
Phẫu thuật căng da mặt
Phẫu thuật căng da mặt đường mổ tối thiểu (MACS lifting)
Phẫu thuật căng da mặt toàn phần + AccuSculpt (đường viền hàm)
Phẫu thuật căng da mặt toàn phần + Nâng cơ Endotine
Phẫu thuật căng da trán
Phẫu thuật cắt mí lại, mở rộng góc mắt trên, tái sắp xếp mỡ mí dưới.
Phẫu thuật cắt mí lại, nâng cung mày
Phẫu thuật cắt xương cằm
Phẫu thuật chỉnh sửa co rút mí mắt (phục hồi sau chỉnh sửa quá mức), mí mắt trên, mí mắt dưới.
Phẫu thuật chỉnh sửa mí mắt trên
Phẫu thuật đầu mũi
Phẫu thuật đầu mũi không dùng chất liệu độn, mũi to, thu gọn cánh mũi.
Phẫu thuật đầu mũi không sụn nhân tạo, mũi ngắn, mũi lệch
Phẫu thuật đầu mũi không sụn nhân tạo, mũi to, mũi ngắn
Phẫu thuật đầu mũi, chỉnh sửa mũi gồ
Phẫu thuật đầu mũi, chỉnh sửa mũi gồ, hạ xương.
Phẫu thuật đầu mũi, thu gọn cánh mũi
Phẫu thuật đầu mũi, thu gọn cánh mũi, mũi lân.
Phẫu thuật đường nét khuôn mặt nam (gò má) + Accu-lifting + Phẫu thuật lại mũi + Mũi ngắn + Botox
Phẫu thuật đường nét khuôn mặt nam giới: Tạo hình khuôn mặt + Thẩm mỹ mắt
Phẫu thuật đường nét khuôn mặt nam: Gọt hàm vuông + Phẫu thuật cằm
Phẫu thuật đường viền khuôn mặt nam giới: Gọt hàm vuông đường cắt dài + Phẫu thuật cằm
Phẫu thuật gọt hàm
Phẫu thuật gọt hàm + hạ gò má
Phẫu thuật gọt hàm + thẩm mỹ đầu cằm (Cắt xương chữ T)
Phẫu thuật gọt hàm vuông đường cắt dài cho nam giới
Phẫu thuật gọt mặt
Phẫu thuật gọt mặt nam - Tạo hình khuôn mặt [Hàm vuông]
Phẫu thuật gọt mặt nam - Tạo hình khuôn mặt Shaping [Combo 3 vùng]
Phẫu thuật gọt mặt nam giới - Tạo hình khuôn mặt [Gò má]
Phẫu thuật gọt mặt nam giới - Thu nhỏ xương gò má Turning
Phẫu thuật gọt mặt nam giới Định hình đường nét khuôn mặt [Combo 3 vùng]
Phẫu thuật gọt mặt nam giới Shaping + AccuSculpt
Phẫu thuật gọt mặt nam giới: Gọt mặt Shaping + Xương hàm vuông
Phẫu thuật gọt mặt nam giới: Tạo hình khuôn mặt + Phẫu thuật cằm
Phẫu thuật gọt mặt nam Shaping [Combo 3 vùng] + Thu nhỏ cơ cắn
Phẫu thuật gọt mặt nam: Hạ gò má + Gọt hàm + Thu nhỏ cằm
Phẫu thuật gọt mặt Shaping [Gò má + Hàm vuông]
Phẫu thuật gọt xương gò má cho nam
Phẫu thuật hạ gò má
Phẫu thuật hạ gò má, phẫu thuật gọt hàm vuông, phẫu thuật thu gọn cằm
Phẫu thuật hạ gò má, phẫu thuật gọt hàm, phẫu thuật trượt cằm, phẫu thuật gọt vỏ xương, phẫu thuật nâng mũi, chỉnh sửa mũi gồ, thu gọn cánh mũi.
Phẫu thuật hạ gò má, phẫu thuật gọt hàm, phẫu thuật trượt cằm.
Phẫu thuật hạ gò má, phẫu thuật gọt hàm, tái phẫu thuật mũi
Phẫu thuật hạ gò má, phẫu thuật gọt hàm.
Phẫu thuật hai hàm cho nam giới Phẫu thuật hai hàm Smile
Phẫu thuật hai hàm cho nam giới Smile + Gọt mặt tạo hình Shaping
Phẫu thuật hai hàm nam + Phẫu thuật mắt nam + Phẫu thuật mũi nam
Phẫu thuật hai hàm nam + Thẩm mỹ mắt nam
Phẫu thuật hai hàm nam giới: Phẫu thuật hai hàm Smile + Thu gọn xương gò má Turning + Nâng mũi nam giới + Thẩm mỹ trán.
Phẫu thuật hai hàm Smile + Thu gọn xương gò má Turning + Tái phẫu thuật mũi + Cấy mỡ tự thân
Phẫu thuật hàm mặt Smile + Hạ gò má + Phẫu thuật cằm
Phẫu thuật hàm mặt Smile Selfie không niềng răng + Phẫu thuật cằm
Phẫu thuật khuôn mặt nam giới - Tạo hình khuôn mặt [Hàm vuông + Cằm]
Phẫu thuật khuôn mặt nam: Gọt hàm đường cắt dài + Trượt cằm + Elasticum + Accusculpt
Phẫu thuật khuôn mặt nam: Gọt hàm đường cong dài + Hạ gò má Turning
Phẫu thuật lại bằng phương pháp rạch
Phẫu thuật lại bằng phương pháp rạch, tái định vị mỡ dưới mắt, nâng cung chân mày.
Phẫu thuật lại cắt mí chỉnh hình sụp mí + Phẫu thuật lại mở rộng góc mắt trong + Mở rộng góc mắt ngoài + Hạ đuôi mắt
Phẫu thuật lại cắt mí của mình
Phẫu thuật lại chỉnh hình mắt (rạch mí), mở rộng góc mắt sau, hạ đuôi mắt.
Phẫu thuật lại chỉnh hình mắt (rạch một phần), phẫu thuật lại mũi (sống mũi, đầu mũi), mũi lân, gò má, cấy mỡ (trán, mũi)
Phẫu thuật lại chỉnh hình mắt bằng phương pháp rạch + Mở rộng góc mắt sau + Hạ đuôi mắt
Phẫu thuật lại chỉnh hình mắt bằng phương pháp rạch, mở rộng góc mắt trên.
Phẫu thuật lại chỉnh hình mắt bằng phương pháp rạch, mở rộng góc mắt trong + góc mắt trên
Phẫu thuật lại chỉnh hình mí mắt bằng phương pháp rạch, mở rộng góc mắt trên, phục hồi góc mắt trong.
Phẫu thuật lại chỉnh hình sụp mí (cắt mí), mở rộng góc mắt sau, hạ đuôi mắt, mũi (sống mũi, đầu mũi), mũi gồ, sụn tai, gò má, cấy mỡ tự thân toàn mặt.
Phẫu thuật lại chỉnh hình sụp mí mắt bằng phương pháp rạch, hạ thấp đường mí, cấy mỡ mí mắt trên, tái sắp xếp mỡ dưới mắt, cấy mỡ dưới mắt
Phẫu thuật lại chỉnh hình sụp mí mắt trên
Phẫu thuật lại mắt (cắt mí), chỉnh hình mắt, hạ đuôi mắt, cấy mỡ mí mắt trên, cấy mỡ mí mắt dưới, tái định vị mỡ mí mắt dưới
Phẫu thuật lại mắt (cắt mí), tái định vị mỡ dưới mắt
Phẫu thuật lại mắt (nhấn mí tự nhiên)
Phẫu thuật lại mắt (phương pháp cắt mí), hạ đường mí, mở rộng góc mắt sau, hạ xếch.
Phẫu thuật lại mắt cắt mí
Phẫu thuật lại mắt cắt mí, mở rộng góc mắt kép.
Phẫu thuật lại mắt hai mí (cắt mí)
Phẫu thuật lại mắt hai mí (cắt một phần), mở rộng góc mắt trong.
Phẫu thuật lại mắt hai mí (nhấn mí)
Phẫu thuật lại mắt hai mí (rạch)
Phẫu thuật lại mắt nhấn mí tự nhiên
Phẫu thuật lại mắt và chỉnh hình sụp mí
Phẫu thuật lại mắt, cắt mí
Phẫu thuật lại mắt, nhấn mí tự nhiên
Phẫu thuật lại mí dưới, nâng cung mày
Phẫu thuật lại mí mắt (cắt bán phần), phẫu thuật lại mở rộng góc mắt trong, mở rộng góc mắt ngoài, hạ đuôi mắt
Phẫu thuật lại mí mắt (rạch một phần)
Phẫu thuật lại mí mắt dưới
Phẫu thuật lại mí mắt trên
Phẫu thuật lại mí mắt trên, tái định vị mỡ mí mắt dưới
Phẫu thuật lại mở rộng góc mắt trong
Phẫu thuật lại mũi
Phẫu thuật lại mũi (mũi bị kẹp, mũi vẹo, phẫu thuật trụ mũi)
Phẫu thuật lại mũi (mũi ngắn, mũi lân, chỉnh sửa trụ mũi)
Phẫu thuật lại mũi (mũi ngắn, mũi lệch, chỉnh sửa trụ mũi)
Phẫu thuật lại mũi (mũi ngắn, mũi lệch)
Phẫu thuật lại mũi (Mũi to, chỉnh sửa góc nhân trung, mũi lệch, sụn sườn tự thân)
Phẫu thuật lại mũi (sống mũi, đầu mũi)
Phẫu thuật lại mũi (sống mũi, đầu mũi), cân mạc da đầu, sụn sườn hiến tặng.
Phẫu thuật lại mũi (sống mũi, đầu mũi), cấy mỡ (trán, cằm)
Phẫu thuật lại mũi (sống mũi, đầu mũi), cấy mỡ toàn mặt, laser Venus.
Phẫu thuật lại mũi (sống mũi, đầu mũi), hạ cánh mũi
Phẫu thuật lại mũi (sống mũi, đầu mũi), Laser Venus
Phẫu thuật lại mũi (sống mũi, đầu mũi), mũi gồ, mài xương.
Phẫu thuật lại mũi (sống mũi, đầu mũi), mũi gồ.
Phẫu thuật lại mũi (sống mũi, đầu mũi), mũi lân, mũi tên, hạ lỗ mũi, vách ngăn, sụn tai, phẫu thuật quý tộc
Phẫu thuật lại mũi (sống mũi, đầu mũi), mũi lệch, hạ trụ mũi, mài xương, sụn sườn hiến tặng.
Phẫu thuật lại mũi (sống mũi, đầu mũi), mũi lệch, mũi to, sụn sườn hiến tặng, silicone.
Phẫu thuật lại mũi (sống mũi, đầu mũi), mũi to, hạ trụ mũi, sụn vách ngăn, sụn tai, silicone (3.5mm)
Phẫu thuật lại mũi (sống mũi, đầu mũi), mũi vẹo, mũi gồ, thu gọn xương mũi, sụn sườn hiến tặng, gò má, hàm vuông, cằm trước, gọt vỏ xương, cấy mỡ (trán)
Phẫu thuật lại mũi (sống mũi, đầu mũi), thu gọn cánh mũi (phẫu thuật cắt)
Phẫu thuật lại mũi + Thu gọn cánh mũi + Chỉnh sửa đầu mũi to
Phẫu thuật lại mũi bằng sụn sườn tự thân (Chỉnh sửa trụ mũi)
Phẫu thuật lại mũi bằng sụn sườn tự thân (mũi lệch, mũi ngắn, trụ mũi bị hụt)
Phẫu thuật lại mũi bằng sụn sườn tự thân (mũi lệch, mũi ngắn)
Phẫu thuật lại mũi bằng sụn sườn tự thân (mũi ngắn, chỉnh sửa trụ mũi)
Phẫu thuật lại mũi, chỉnh sửa mũi hếch
Phẫu thuật lại mũi, chỉnh sửa mũi ngắn.
Phẫu thuật lại mũi, phục hồi khóe mắt trong
Phẫu thuật lại mũi, sụn sườn hiến tặng, chỉnh sửa mũi gồ.
Phẫu thuật lại mũi, sụn sườn tự thân, cuốn mũi dưới.
Phẫu thuật lại mũi, sụn sườn tự thân. Hạ gò má.
Phẫu thuật lại mũi, thay sụn silicone, đầu mũi (sụn sườn hiến tặng), chỉnh sửa mũi ngắn...
Phẫu thuật lại mũi, thu gọn cánh mũi.
Phẫu thuật lại ngực + Nâng ngực Motiva
Phẫu thuật lại ngực DA
Phẫu thuật lại nhấn mí + Mở rộng góc mắt trên + Mở rộng góc mắt ngoài + Hạ đuôi mắt
Phẫu thuật lại nhấn mí tự nhiên (tháo nếp mí cũ)
Phẫu thuật lại nhấn mí tự nhiên lần thứ 3 của mình
Phẫu thuật lại nhấn mí tự nhiên, cấy mỡ mí mắt
Phẫu thuật lại nhấn mí tự nhiên, hạ đường mí
Phẫu thuật lại nhấn mí tự nhiên, mở góc mắt trong, mở góc mắt trên.
Phẫu thuật lại nhấn mí tự nhiên, mở rộng góc mắt sau, hạ góc mắt dưới.
Phẫu thuật lại nhấn mí tự nhiên, nâng cung chân mày.
Phẫu thuật lúm đồng tiền (một bên)
Phẫu thuật mắt nam cắt mí + chỉnh hình dáng mắt
Phẫu thuật mắt nam giới, chỉnh hình sụp mí không rạch, tái phẫu thuật.
Phẫu thuật mí dưới + Cắt mí (làm lại)
Phẫu thuật mí dưới + Lấy mỡ bọng mắt
Phẫu thuật mi dưới + treo cung mày dưới
Phẫu thuật mí dưới kép
Phẫu thuật mí dưới mini, cấy mỡ gò má trước
Phẫu thuật mí dưới, căng da mặt giữa
Phẫu thuật mí dưới, căng da mặt giữa, tái sắp xếp mỡ dưới mắt.
Phẫu thuật mí dưới, cấy mỡ (dưới mắt)
Phẫu thuật mí dưới, cấy mỡ gò má trước
Phẫu thuật mí dưới, nâng cơ trán (cố định bằng chỉ)
Phẫu thuật mí dưới, nâng cung mày
Phẫu thuật mí dưới, nâng cung mày dưới
Phẫu thuật mí dưới, nâng cung mày, tái sắp xếp mỡ mí dưới.
Phẫu thuật mí dưới, quặm mi, cố định góc mắt ngoài
Phẫu thuật mí dưới, tái cấu trúc mỡ bọng mắt, nâng cơ mặt giữa
Phẫu thuật mí dưới, treo chân mày
Phẫu thuật mí dưới, treo cung mày dưới (lấy mỡ)
Phẫu thuật mí dưới, treo cung mày, căng da mặt giữa, căng da mặt, cấy mỡ (toàn mặt), Botox (vùng giữa chân mày), Fraxel, tiêm PDRN, DDR
Phẫu thuật mí mắt dưới
Phẫu thuật mí mắt dưới, cấy mỡ gò má trước
Phẫu thuật mí mắt trên + Tái phẫu thuật mắt + Mở rộng góc mắt trong + Mở rộng góc mắt dưới
Phẫu thuật mí mắt trên điều chỉnh sụp mí + phẫu thuật lại
Phẫu thuật mí mắt trên, chỉnh hình mắt
Phẫu thuật mí mắt trên, chỉnh hình sụp mí, nâng cung chân mày
Phẫu thuật mí mắt trên, phục hồi khóe mắt trong.
Phẫu thuật mí mắt trên, treo cung mày dưới
Phẫu thuật mí trên (kỹ thuật hạ đường mí), phẫu thuật mí dưới, chỉnh hình mắt, mở rộng đuôi mắt, tái định vị mỡ hốc mắt, hạ đường mí...
Phẫu thuật mí trên, cắt mí (kỹ thuật hai đường mổ, 3 lần), chỉnh hình mắt, cấy mỡ (mí mắt), hạ đường mí...
Phẫu thuật mí trên, phẫu thuật mí dưới, cố định góc mắt ngoài
Phẫu thuật mũi co rút (Ghép trung bì sống mũi)
Phẫu thuật mũi nam - đầu mũi
Phẫu thuật mũi nam của mình: Mũi lân + Thu nhỏ cánh mũi
Phẫu thuật mũi nam giới - Điêu khắc đầu mũi
Phẫu thuật mũi nam, đục xương mũi gồ.
Phẫu thuật mũi nam: Mũi lệch + Phẫu thuật lại
Phẫu thuật mũi to, mũi gồ, mũi dài
Phẫu thuật nâng khóe miệng
Phẫu thuật nâng khóe miệng + tiêm filler môi
Phẫu thuật nâng mũi (sống mũi + đầu mũi)
Phẫu thuật nâng mũi (sống mũi + đầu mũi), phẫu thuật mũi ngắn
Phẫu thuật nâng mũi (sống mũi + đầu mũi), sụn sườn hiến tặng, chỉnh sửa mũi vẹo
Phẫu thuật nâng mũi chức năng, mũi đầu mũi to, mũi gồ, mũi dài.
Phẫu thuật nâng mũi hở, sụn sườn tự thân
Phẫu thuật nâng mũi kín
Phẫu thuật nâng mũi lại, hạ cánh mũi
Phẫu thuật nâng mũi lại, phẫu thuật căng da mặt. Phẫu thuật mí mắt trên, phẫu thuật mí mắt dưới.
Phẫu thuật nâng mũi lại, sụn sườn hiến tặng
Phẫu thuật nâng mũi lại, sụn sườn tự thân
Phẫu thuật nâng mũi nam + Sửa mũi lại + Mũi ngắn + Thu gọn cánh mũi + Nâng mũi thẩm mỹ điều trị viêm mũi
Phẫu thuật nâng mũi nam cho mũi thấp
Phẫu thuật nâng mũi nam giới - Nâng mũi thẩm mỹ và điều trị viêm mũi
Phẫu thuật nâng mũi nam giới bằng sụn tự thân
Phẫu thuật nâng mũi nam giới mài xương
Phẫu thuật nâng mũi nam giới sống mũi rộng + mũi gồ
Phẫu thuật nâng mũi nam giới và phẫu thuật mũi lân
Phẫu thuật nâng mũi nam giới viêm mũi + đục xương
Phẫu thuật nâng mũi nam giới, mũi lân, mài xương
Phẫu thuật nâng mũi nam giới, nâng mũi thẩm mỹ điều trị viêm mũi, mài xương.
Phẫu thuật nâng mũi nam giới, sửa lại mũi, mũi lân, mũi ngắn.
Phẫu thuật nâng mũi nam giới, sửa lại mũi, mũi lệch, sụn sườn hiến tặng.
Phẫu thuật nâng mũi nam giới: Điêu khắc đầu mũi + Mũi lân
Phẫu thuật nâng mũi nam giới: Mũi gồ + Chỉnh hình mũi lân + Nâng mũi thẩm mỹ điều trị viêm mũi
Phẫu thuật nâng mũi nam giới: Mũi gồ + Mũi khoằm + Mũi vẹo
Phẫu thuật nâng mũi nam giới: Mũi gồ + Mũi vẹo + Sống mũi rộng
Phẫu thuật nâng mũi nam giới: Mũi gồ + Nâng mũi thẩm mỹ điều trị viêm mũi.
Phẫu thuật nâng mũi nam giới: Mũi lân + Nâng mũi thẩm mỹ điều trị viêm mũi
Phẫu thuật nâng mũi nam giới: Mũi lân + Sống mũi rộng + Thu gọn cánh mũi + Nâng mũi thẩm mỹ điều trị viêm mũi
Phẫu thuật nâng mũi nam giới: Nâng mũi điều trị viêm mũi + Chỉnh sửa mũi ngắn
Phẫu thuật nâng mũi nam giới: Nâng mũi thẩm mỹ điều trị viêm mũi + Chỉnh sửa mũi ngắn
Phẫu thuật nâng mũi nam giới: Phẫu thuật lại mũi + Chỉnh mũi vẹo
Phẫu thuật nâng mũi nam giới: Thu gọn cánh mũi + Sống mũi rộng
Phẫu thuật nâng mũi nam giới: Thu gọn cánh mũi + Sống mũi rộng + Nâng mũi thẩm mỹ điều trị viêm mũi.
Phẫu thuật nâng mũi nam sống mũi rộng
Phẫu thuật nâng mũi nam sống mũi rộng + mũi lân
Phẫu thuật nâng mũi nam sống mũi thấp
Phẫu thuật nâng mũi nam, đục xương, mũi gồ
Phẫu thuật nâng mũi nam, mài xương, mũi ngắn, thu gọn cánh mũi, nâng trụ mũi, nâng mũi thẩm mỹ điều trị viêm mũi.
Phẫu thuật nâng mũi nam: Chỉnh sửa mũi gồ + mũi lân
Phẫu thuật nâng mũi nam: Mũi gồ + mũi lân + sống mũi rộng
Phẫu thuật nâng mũi nam: Mũi lân + Đầu mũi
Phẫu thuật nâng mũi nam: Mũi lân + Mũi ngắn + Thu gọn cánh mũi
Phẫu thuật nâng mũi nam: Mũi lân + Nâng mũi thẩm mỹ điều trị viêm mũi.
Phẫu thuật nâng mũi nam: Mũi thấp + Mũi gồ + Mũi lân + Phẫu thuật đầu mũi
Phẫu thuật nâng mũi ngắn, mũi chức năng
Phẫu thuật nâng mũi, chỉnh sửa mũi gồ, phẫu thuật hạ gò má, phẫu thuật gọt hàm, phẫu thuật lùi cằm.
Phẫu thuật nâng mũi, chỉnh sửa mũi lân + nâng mũi thẩm mỹ điều trị viêm mũi
Phẫu thuật nâng mũi: Chỉnh sửa mũi ngắn + Chỉnh sửa mũi lân
Phẫu thuật nâng ngực
Phẫu thuật nâng ngực (Mentor Xtra) (đường mổ dưới chân ngực), Ulthera, Rejuran Healer, Tiêm filler môi, Botox nâng cơ
Phẫu thuật nâng ngực Bellagel + Loại bỏ tuyến vú phụ
Phẫu thuật nâng ngực dáng giọt nước (Mentor 305cc)
Phẫu thuật nâng ngực dáng giọt nước (Polytech 240cc)
Phẫu thuật nâng ngực dáng giọt nước (Polytech 260cc)
Phẫu thuật nâng ngực dáng giọt nước (Polytech 315cc)
Phẫu thuật nâng ngực giọt nước Natrelle (tái phẫu thuật)
Phẫu thuật nâng ngực Mentor + loại bỏ ngực phụ
Phẫu thuật nâng ngực Motiva + loại bỏ ngực phụ
Phẫu thuật ngực Bellagel (tái phẫu thuật)
Phẫu thuật sửa mũi lại bằng sụn sườn tự thân
Phẫu thuật sửa mũi, sụn sườn chức năng
Phẫu thuật tạo hình đường nét khuôn mặt [Hàm bạnh + Cằm]
Phẫu thuật tạo hình khuôn mặt
Phẫu thuật tạo hình khuôn mặt [3 vùng] + AccuSculpt + Cấy mỡ toàn mặt
Phẫu thuật tạo hình khuôn mặt [Cằm]
Phẫu thuật tạo hình khuôn mặt nam giới - Phẫu thuật trượt cằm
Phẫu thuật tạo hình khuôn mặt nam Shaping [Gò má + Xương hàm + Trượt cằm] + Nâng mũi nam
Phẫu thuật tạo hình khuôn mặt nam: Shaping khuôn mặt + Trượt cằm
Phẫu thuật tạo hình khuôn mặt Shaping [Gò má + Cằm] + Tái phẫu thuật tạo hình khuôn mặt
Phẫu thuật tạo hình khuôn mặt, cấy mỡ trán.
Phẫu thuật tạo hình mô mềm + Full mini lifting
Phẫu thuật tạo má lúm đồng tiền
Phẫu thuật thẩm mỹ
Phẫu thuật thẩm mỹ cánh tay
Phẫu thuật thẩm mỹ đùi
Phẫu thuật thẩm mỹ khuôn mặt [Gò má + Hàm vuông]
Phẫu thuật thẩm mỹ khuôn mặt nam - Tạo hình khuôn mặt [Hàm vuông + Gò má]
Phẫu thuật thẩm mỹ khuôn mặt nam + Tạo hình khuôn mặt [Hàm vuông + Gò má]
Phẫu thuật thẩm mỹ khuôn mặt nam 2 vùng [Tạo hình V-line + Kéo dài đầu cằm]
Phẫu thuật thẩm mỹ khuôn mặt nam 3 vùng
Phẫu thuật thẩm mỹ khuôn mặt nam giới
Phẫu thuật thẩm mỹ khuôn mặt nam giới: Gọt mặt Shaping + Hạ gò má Turning
Phẫu thuật thẩm mỹ khuôn mặt nam giới: Thu nhỏ xương hàm vuông + Thu nhỏ gò má + Phẫu thuật tạo hình cằm (Combo 3 vùng khuôn mặt)
Phẫu thuật thẩm mỹ khuôn mặt nam: Hàm vuông + Gò má
Phẫu thuật thẩm mỹ khuôn mặt, hút mỡ mặt, căng chỉ da mặt
Phẫu thuật thẩm mỹ mắt
Phẫu thuật thẩm mỹ mắt [Cắt mí dưới Plus + Cố định góc mắt ngoài]
Phẫu thuật thẩm mỹ mắt [Nhấn mí tự nhiên]
Phẫu thuật thẩm mỹ mắt + Cắt mí mắt trên
Phẫu thuật thẩm mỹ mắt + phẫu thuật cắt mí trên
Phẫu thuật thẩm mỹ mắt + Phẫu thuật mí dưới
Phẫu thuật thẩm mỹ mắt nam - Chỉnh hình mắt bằng phương pháp rạch
Phẫu thuật thẩm mỹ mắt nam - Chỉnh hình mắt không cắt rạch
Phẫu thuật thẩm mỹ mắt nam + Chỉnh hình mắt không phẫu thuật
Phẫu thuật thẩm mỹ mắt nam + Chỉnh hình mắt không rạch
Phẫu thuật thẩm mỹ mắt nam + Chỉnh hình mắt phương pháp cắt
Phẫu thuật thẩm mỹ mắt nam + Chỉnh hình mắt phương pháp cắt + Mở rộng góc mắt trong
Phẫu thuật thẩm mỹ mắt nam + Mở rộng góc mắt trong
Phẫu thuật thẩm mỹ mắt nam cắt mí + chỉnh hình dáng mắt + mở rộng góc mắt trong
Phẫu thuật thẩm mỹ mắt nam cắt mí bán phần chỉnh hình dáng mắt
Phẫu thuật thẩm mỹ mắt nam Chỉnh hình sụp mí không cắt rạch [Tái phẫu thuật] + Mở rộng góc mắt kép.
Phẫu thuật thẩm mỹ mắt nam giới - Nâng cung chân mày
Phẫu thuật thẩm mỹ mắt nam giới phương pháp nhấn mí
Phẫu thuật thẩm mỹ mắt nam giới: Chỉnh hình mắt không cắt rạch + Mở rộng góc mắt trong + Mở rộng góc mắt ngoài.
Phẫu thuật thẩm mỹ mắt nam giới: Nhấn mí + Chỉnh hình dáng mắt
Phẫu thuật thẩm mỹ mắt nam giới: Nhấn mí + Nâng cung chân mày
Phẫu thuật thẩm mỹ mắt nam mở góc mắt trong
Phẫu thuật thẩm mỹ mắt nam nhấn mí [phẫu thuật lại] + mở rộng góc mắt kép
Phẫu thuật thẩm mỹ mắt nam phương pháp cắt mí [tái phẫu thuật] + chỉnh hình dáng mắt + tái sắp xếp mỡ mí dưới
Phẫu thuật thẩm mỹ mắt nam phương pháp cắt mí + chỉnh hình dáng mắt
Phẫu thuật thẩm mỹ mắt nam phương pháp cắt mí + chỉnh hình dáng mắt + tái phẫu thuật mắt
Phẫu thuật thẩm mỹ mắt nam phương pháp nhấn mí [tái phẫu thuật] + mở rộng góc mắt đôi
Phẫu thuật thẩm mỹ mắt nam Tái định vị mỡ dưới mắt
Phẫu thuật thẩm mỹ mắt nam: Cắt mí + Chỉnh hình dáng mắt + Tái cấu trúc mỡ mí dưới
Phẫu thuật thẩm mỹ mắt nam: Cắt mí chỉnh hình dáng mắt + Mở góc mắt trong
Phẫu thuật thẩm mỹ mắt nam: Cắt mí chỉnh hình dáng mắt + Mở rộng góc mắt ngoài
Phẫu thuật thẩm mỹ mắt nam: Cắt mí chỉnh hình mắt + Mở góc mắt trong + Mở góc mắt ngoài
Phẫu thuật thẩm mỹ mắt nam: Cắt mí chỉnh hình mắt + Mở rộng góc mắt sau + Hạ đuôi mắt.
Phẫu thuật thẩm mỹ mắt nam: Cắt mí chỉnh hình mắt + Mở rộng góc mắt trong
Phẫu thuật thẩm mỹ mắt nam: Chỉnh hình dáng mắt + Mở rộng khóe mắt trong + Mở rộng khóe mắt ngoài
Phẫu thuật thẩm mỹ mắt nam: Chỉnh hình dáng mắt bằng phương pháp rạch + Mở rộng góc mắt trên + Mở rộng đuôi mắt + Hạ đuôi mắt
Phẫu thuật thẩm mỹ mắt nam: Chỉnh hình dáng mắt không phẫu thuật + Mở rộng góc mắt ngoài + Hạ đuôi mắt
Phẫu thuật thẩm mỹ mắt nam: Chỉnh hình mắt không phẫu thuật + Mở rộng góc mắt ngoài
Phẫu thuật thẩm mỹ mắt nam: Chỉnh hình mắt không phẫu thuật + Mở rộng góc mắt trong + Mở rộng góc mắt ngoài + Hạ đuôi mắt
Phẫu thuật thẩm mỹ mắt nam: Chỉnh hình mắt phương pháp rạch + Tái phẫu thuật mắt
Phẫu thuật thẩm mỹ mắt nam: Chỉnh hình sụp mí bằng phương pháp rạch + Mở rộng góc mắt ngoài + Hạ đuôi mắt
Phẫu thuật thẩm mỹ mắt nam: Chỉnh hình sụp mí không cắt + Mở rộng góc mắt trong + Mở rộng góc mắt ngoài
Phẫu thuật thẩm mỹ mắt nam: Chỉnh hình sụp mí không cắt + Tái cấu trúc mỡ mí dưới
Phẫu thuật thẩm mỹ mắt nam: Chỉnh hình sụp mí không cắt rạch + Mở rộng góc mắt ngoài
Phẫu thuật thẩm mỹ mắt nam: Chỉnh hình sụp mí không cắt rạch + Mở rộng góc mắt ngoài + Hạ đuôi mắt
Phẫu thuật thẩm mỹ mắt nam: Chỉnh hình sụp mí không cắt rạch + Mở rộng góc mắt trong + Mở rộng góc mắt kép
Phẫu thuật thẩm mỹ mắt nam: Chỉnh hình sụp mí không rạch + Mở rộng góc mắt trong + Mở rộng góc mắt ngoài + Hạ đuôi mắt
Phẫu thuật thẩm mỹ mắt nam: Chỉnh hình sụp mí không rạch + Mở rộng góc mắt trong + Tái cấu trúc mỡ bọng mắt
Phẫu thuật thẩm mỹ mắt nam: Nâng cung mày + Mở rộng góc mắt sau + Hạ đuôi mắt
Phẫu thuật thẩm mỹ mắt nam: Nhấn mí + Chỉnh hình dáng mắt
Phẫu thuật thẩm mỹ mắt nam: Nhấn mí + Chỉnh hình dáng mắt + Mở rộng góc mắt kép
Phẫu thuật thẩm mỹ mắt nam: Nhấn mí + Chỉnh hình dáng mắt + Mở rộng góc mắt trong
Phẫu thuật thẩm mỹ mắt nam: Nhấn mí + Chỉnh hình mắt
Phẫu thuật thẩm mỹ mắt nam: Nhấn mí + Chỉnh hình mắt + Mở rộng góc mắt trong
Phẫu thuật thẩm mỹ mắt nam: Nhấn mí + Chỉnh hình mắt + Mở rộng góc mắt trong + Mở rộng góc mắt ngoài
Phẫu thuật thẩm mỹ mắt nam: Nhấn mí + Chỉnh hình sụp mí + Mở rộng góc mắt trong + Mở rộng góc mắt ngoài.
Phẫu thuật thẩm mỹ mắt nam: Nhấn mí + Mở rộng góc mắt trong
Phẫu thuật thẩm mỹ mắt nam: Nhấn mí + Nâng cung chân mày
Phẫu thuật thẩm mỹ mắt nam: Nhấn mí + Tái phẫu thuật mắt
Phẫu thuật thẩm mỹ mắt nam: Nhấn mí chỉnh hình mắt + Mở rộng góc mắt kép
Phẫu thuật thẩm mỹ mắt nam: Phương pháp cắt mí + Chỉnh hình dáng mắt + Mở góc mắt trong
Phẫu thuật thẩm mỹ mắt nam: Phương pháp cắt mí + Chỉnh hình dáng mắt + Mở rộng góc mắt
Phẫu thuật thẩm mỹ mắt nam: Tái phẫu thuật chỉnh hình mắt phương pháp cắt + Phục hồi mở rộng góc mắt trong
Phẫu thuật thẩm mỹ mắt nam: Tái phẫu thuật chỉnh hình mắt phương pháp rạch + Mở rộng góc mắt trong
Phẫu thuật thẩm mỹ mắt nam: Tái phẫu thuật mắt + Cắt mí + Chỉnh hình dáng mắt + Mở rộng góc mắt trong
Phẫu thuật thẩm mỹ mắt và chỉnh hình dáng mắt cho nam
Phẫu thuật thẩm mỹ mắt và mũi cho nam giới
Phẫu thuật thẩm mỹ mí mắt trên (chỉnh sửa mắt lõm, nhiều nếp mí), cấy mỡ mí mắt trên.
Phẫu thuật thẩm mỹ mí mắt trên, phẫu thuật thẩm mỹ mí mắt dưới
Phẫu thuật thẩm mỹ mũi
Phẫu thuật thẩm mỹ mũi [Sống mũi + Đầu mũi)
Phẫu thuật thẩm mỹ mũi chỉnh sửa mũi vẹo + thu gọn cánh mũi
Phẫu thuật thẩm mỹ mũi cho nam giới
Phẫu thuật thẩm mỹ mũi của mình: Sửa lại mũi + Chỉnh sửa mũi lân + Thu gọn cánh mũi
Phẫu thuật thẩm mỹ mũi đầu mũi to và mũi ngắn
Phẫu thuật thẩm mỹ mũi đục xương + mũi gồ
Phẫu thuật thẩm mỹ mũi gồ + chỉnh sửa mũi ngắn
Phẫu thuật thẩm mỹ mũi gồ cho nam giới
Phẫu thuật thẩm mỹ mũi lân
Phẫu thuật thẩm mỹ mũi nam giới - mũi gồ
Phẫu thuật thẩm mỹ mũi nam giới - mũi lân
Phẫu thuật thẩm mỹ mũi nam giới cho mũi vẹo
Phẫu thuật thẩm mỹ mũi nam giới mài xương mũi to mũi ngắn
Phẫu thuật thẩm mỹ mũi nam giới Mũi gồ+sống mũi rộng+mũi lệch
Phẫu thuật thẩm mỹ mũi nam giới mũi ngắn
Phẫu thuật thẩm mỹ mũi nam giới mũi ngắn + sống mũi rộng
Phẫu thuật thẩm mỹ mũi nam giới mũi ngắn + tái phẫu thuật mũi
Phẫu thuật thẩm mỹ mũi nam giới mũi thấp + mũi lân
Phẫu thuật thẩm mỹ mũi nam giới mũi thấp + mũi ngắn
Phẫu thuật thẩm mỹ mũi nam giới Mũi thấp + Phẫu thuật lại mũi
Phẫu thuật thẩm mỹ mũi nam giới Phẫu thuật đầu mũi + Thu gọn cánh mũi
Phẫu thuật thẩm mỹ mũi nam giới Sống mũi rộng + Phẫu thuật thẩm mỹ mũi điều trị viêm mũi
Phẫu thuật thẩm mỹ mũi nam giới Tái phẫu thuật mũi + Mũi lệch
Phẫu thuật thẩm mỹ mũi nam giới và tái phẫu thuật mũi
Phẫu thuật thẩm mỹ mũi nam giới và thu nhỏ cánh mũi.
Phẫu thuật thẩm mỹ mũi nam giới, mài xương, chỉnh mũi gồ, thu gọn cánh mũi.
Phẫu thuật thẩm mỹ mũi nam giới, mài xương, mũi vẹo
Phẫu thuật thẩm mỹ mũi nam giới, mũi ngắn, mũi vẹo
Phẫu thuật thẩm mỹ mũi nam giới, mũi vẹo, mũi gồ
Phẫu thuật thẩm mỹ mũi nam giới: Chỉnh sửa mũi ngắn + Chỉnh sửa mũi to + Mũi gồ
Phẫu thuật thẩm mỹ mũi nam giới: Chỉnh sửa mũi ngắn + Chỉnh sửa mũi to + Thu gọn cánh mũi
Phẫu thuật thẩm mỹ mũi nam giới: Chỉnh sửa mũi vẹo + mũi gồ
Phẫu thuật thẩm mỹ mũi nam giới: Mũi gồ + Mũi dài + Sống mũi rộng
Phẫu thuật thẩm mỹ mũi nam giới: Mũi gồ + Mũi lân + Mũi ngắn
Phẫu thuật thẩm mỹ mũi nam giới: Mũi gồ + Mũi lệch
Phẫu thuật thẩm mỹ mũi nam giới: Mũi gồ + Mũi lệch + Mũi lân + Sống mũi rộng
Phẫu thuật thẩm mỹ mũi nam giới: mũi gồ + mũi lệch + mũi rộng
Phẫu thuật thẩm mỹ mũi nam giới: Mũi gồ + Sống mũi rộng
Phẫu thuật thẩm mỹ mũi nam giới: Mũi gồ + Thu gọn cánh mũi
Phẫu thuật thẩm mỹ mũi nam giới: Mũi lân + Mũi vẹo
Phẫu thuật thẩm mỹ mũi nam giới: Mũi lệch + Phẫu thuật lại mũi
Phẫu thuật thẩm mỹ mũi nam giới: Mũi lệch + Sống mũi rộng
Phẫu thuật thẩm mỹ mũi nam giới: Mũi ngắn + Sống mũi rộng + Phẫu thuật lại mũi
Phẫu thuật thẩm mỹ mũi nam giới: Mũi ngắn/Mũi hếch + Mũi vẹo
Phẫu thuật thẩm mỹ mũi nam giới: Mũi rộng + Mũi gồ
Phẫu thuật thẩm mỹ mũi nam giới: Mũi thấp + Mũi gồ
Phẫu thuật thẩm mỹ mũi nam giới: Mũi thấp + Mũi gồ + Thu gọn cánh mũi
Phẫu thuật thẩm mỹ mũi nam giới: Mũi thấp + Mũi vẹo + Phẫu thuật đầu mũi
Phẫu thuật thẩm mỹ mũi nam giới: Mũi vẹo + Mũi ngắn
Phẫu thuật thẩm mỹ mũi nam giới: Sống mũi rộng + Thu gọn cánh mũi
Phẫu thuật thẩm mỹ mũi nam giới: Tái phẫu thuật mũi + Nâng mũi thẩm mỹ điều trị viêm mũi
Phẫu thuật thẩm mỹ mũi nam Mũi ngắn + Mũi lân + Sửa lại mũi
Phẫu thuật thẩm mỹ mũi nam và chỉnh sửa mũi lân
Phẫu thuật thẩm mỹ mũi nam, đục xương, mũi lân
Phẫu thuật thẩm mỹ mũi nam, sửa lại mũi, mũi lệch
Phẫu thuật thẩm mỹ mũi nam, sửa mũi lại + mũi ngắn.
Phẫu thuật thẩm mỹ mũi nam: Chỉnh sửa mũi gồ + mũi lân + mũi ngắn
Phẫu thuật thẩm mỹ mũi nam: Chỉnh sửa mũi lân + Chỉnh sửa mũi ngắn
Phẫu thuật thẩm mỹ mũi nam: Mài xương + Mũi to
Phẫu thuật thẩm mỹ mũi nam: Mũi dài + sống mũi rộng
Phẫu thuật thẩm mỹ mũi nam: Mũi gồ + Mũi dài
Phẫu thuật thẩm mỹ mũi nam: Mũi gồ + Mũi lệch + Mũi dài
Phẫu thuật thẩm mỹ mũi nam: Mũi gồ + Mũi to
Phẫu thuật thẩm mỹ mũi nam: Mũi lân + Mũi ngắn
Phẫu thuật thẩm mỹ mũi nam: Mũi lân + Mũi vẹo + Sống mũi rộng
Phẫu thuật thẩm mỹ mũi nam: Mũi lân + Sống mũi
Phẫu thuật thẩm mỹ mũi nam: Mũi lân + Sống mũi rộng
Phẫu thuật thẩm mỹ mũi nam: Mũi lân + Thu gọn cánh mũi
Phẫu thuật thẩm mỹ mũi nam: Mũi lân + Thu gọn cánh mũi + Mũi ngắn
Phẫu thuật thẩm mỹ mũi nam: mũi ngắn + mũi lân
Phẫu thuật thẩm mỹ mũi nam: Mũi ngắn + Thu gọn cánh mũi
Phẫu thuật thẩm mỹ mũi nam: Mũi thấp + Mũi dài/Mũi tên + Sống mũi rộng
Phẫu thuật thẩm mỹ mũi nam: Mũi thấp + Mũi gồ + Mũi lân
Phẫu thuật thẩm mỹ mũi nam: Mũi thấp + Mũi gồ + Thẩm mỹ đầu mũi + Phẫu thuật cánh mũi
Phẫu thuật thẩm mỹ mũi nam: Mũi thấp + Mũi lân + Mũi lệch
Phẫu thuật thẩm mỹ mũi nam: Mũi thấp + Mũi lân + Mũi ngắn + Thu gọn cánh mũi
Phẫu thuật thẩm mỹ mũi nam: mũi vẹo + mũi gồ
Phẫu thuật thẩm mỹ mũi nam: Sống mũi + Thu nhỏ cánh mũi
Phẫu thuật thẩm mỹ mũi nam: Tái phẫu thuật mũi + Thu gọn cánh mũi + Chỉnh hình mũi lệch
Phẫu thuật thẩm mỹ mũi ngắn, mũi lân
Phẫu thuật thẩm mỹ mũi Thu gọn cánh mũi + Chỉnh sửa mũi ngắn + Chỉnh sửa mũi lân
Phẫu thuật thẩm mỹ mũi và chỉnh sửa mũi lệch
Phẫu thuật thẩm mỹ mũi và chỉnh sửa mũi to
Phẫu thuật thẩm mỹ mũi, chỉnh sửa mũi gồ
Phẫu thuật thẩm mỹ mũi, chỉnh sửa mũi gồ, chỉnh sửa mũi rộng
Phẫu thuật thẩm mỹ mũi, chỉnh sửa mũi gồ, chỉnh sửa mũi rộng (phẫu thuật đục xương)
Phẫu thuật thẩm mỹ mũi, chỉnh sửa mũi gồ, mài xương.
Phẫu thuật thẩm mỹ mũi, chỉnh sửa mũi gồ, phẫu thuật mũi chức năng
Phẫu thuật thẩm mỹ mũi, chỉnh sửa mũi lân
Phẫu thuật thẩm mỹ mũi, chỉnh sửa mũi lân + phẫu thuật mũi điều trị viêm mũi
Phẫu thuật thẩm mỹ mũi, chỉnh sửa mũi lân, chỉnh sửa mũi gồ
Phẫu thuật thẩm mỹ mũi, chỉnh sửa mũi ngắn
Phẫu thuật thẩm mỹ mũi, chỉnh sửa mũi ngắn, phẫu thuật mũi chức năng
Phẫu thuật thẩm mỹ mũi, chỉnh sửa mũi rộng, mài xương
Phẫu thuật thẩm mỹ mũi, chỉnh sửa mũi rộng, mài xương, nâng mũi chức năng
Phẫu thuật thẩm mỹ mũi, chỉnh sửa mũi rộng, mài xương, phẫu thuật mũi chức năng
Phẫu thuật thẩm mỹ mũi, mài xương
Phẫu thuật thẩm mỹ mũi, mài xương, chỉnh sửa mũi gồ, chỉnh sửa mũi tên.
Phẫu thuật thẩm mỹ mũi, phẫu thuật lại mũi + chỉnh sửa mũi lân
Phẫu thuật thẩm mỹ mũi, phẫu thuật mũi lân
Phẫu thuật thẩm mỹ mũi, tái phẫu thuật mũi
Phẫu thuật thẩm mỹ mũi: Chỉnh sửa mũi gồ + mũi to
Phẫu thuật thẩm mỹ mũi: Chỉnh sửa mũi lân + Chỉnh sửa mũi ngắn
Phẫu thuật thẩm mỹ mũi: Chỉnh sửa mũi lân + Chỉnh sửa mũi ngắn + Mũi gồ
Phẫu thuật thẩm mỹ mũi: Chỉnh sửa mũi lân + Mũi gồ
Phẫu thuật thẩm mỹ mũi: Chỉnh sửa mũi to + Thu gọn cánh mũi
Phẫu thuật thẩm mỹ mũi: Mũi cơ bản + Mũi thẩm mỹ điều trị viêm mũi
Phẫu thuật thẩm mỹ mũi: mũi gồ + thu gọn cánh mũi + chỉnh sửa mũi lân
Phẫu thuật thẩm mỹ mũi: Nâng mũi thẩm mỹ điều trị viêm mũi + Chỉnh sửa mũi ngắn
Phẫu thuật thẩm mỹ mũi: Sửa lại mũi + Thu gọn cánh mũi + Chỉnh sửa mũi lân
Phẫu thuật thẩm mỹ nam giới
Phẫu thuật thẩm mỹ ngực
Phẫu thuật thẩm mỹ ngực DA
Phẫu thuật thẩm mỹ ngực Sebbin
Phẫu thuật thu nhỏ
Phẫu thuật thu nhỏ cằm
Phẫu thuật thu nhỏ trán
Phẫu thuật treo ngực sa trễ, phẫu thuật nâng ngực
Phục hồi góc mắt sau, mở rộng góc mắt trước (tái phẫu thuật)
Phục hồi góc mắt trong
Phục hồi hạ đuôi mắt GL, nâng cung mày (một bên), quặm mi
Phục hồi hạ đuôi mắt GL, quặm mi
Phục hồi hạ đuôi mắt GL, quặm mi, tái định vị mỡ dưới mắt, hạ đuôi mắt...
Phục hồi hạ xếch GL, quặm mi, mở góc mắt dưới GL (mở góc mắt ngoài, hạ xếch)...
Phục hồi khóe mắt trong, quặm mi
Phục hồi mở góc mắt ngoài
Phục hồi mở góc mắt trong, phục hồi mở góc mắt ngoài
Picosure (Xóa xăm)
Quặm mi
Radiesse
Radiesse (rãnh cười + làm đầy má)
Rejuran Healer
Rejuran Healer 4cc
Sculptra, filler trán
Sebbin Sublimity_mình không hài lòng về dáng_tháng thứ 6
Sebbin Sublimity_Tháng thứ 1
Sebbin Sublimity_Tháng thứ 6
Sebbin Sublimity_tháng thứ 7
Sebbin Sublimity_tháng thứ 8
Sebbin Sublimity_tháng thứ 9 của mình
Sebbin Sublimity_Tụt túi_Tháng thứ 12 của mình
Sebin Integrity_Tháng thứ 1
Sebin Integrity_Tháng thứ 12
Sebin Integrity_Tháng thứ 2
Sebin Integrity_Tháng thứ 3
Sebin Integrity_Tháng thứ 4
Sebin Integrity_Tháng thứ 6
Sebin Sublimity_Tháng thứ 2 của mình
Shurink, InMode FX + FORMA
Shurink, Onda
Skin Botox
Sống mũi
Sống mũi + đầu mũi
Sống mũi + đầu mũi (tái định vị sụn)
Sống mũi + đầu mũi + cằm lẹm
Sống mũi + đầu mũi + mũi gồ + hạ gò má
Sửa mũi (tái phẫu thuật), thay sụn silicon, đầu mũi (sụn sườn tự thân), chỉnh sửa mũi co rút...
Sụn sườn hiến tặng nâng mũi
Sụn sườn hiến tặng, mũi to, cuốn mũi dưới, mài xương
Tái cấu trúc mỡ bọng mắt, cấy mỡ gò má trước, cắt mí dưới mini
Tái cấu trúc mỡ bọng mắt, phẫu thuật mí dưới kép, cấy mỡ gò má trước.
Tái cấu trúc mỡ dưới mắt, cấy mỡ mặt (toàn mặt)
Tái cấu trúc mỡ dưới mắt, gọt hàm, hạ gò má, phẫu thuật cằm, gọt xương vỏ, laser Venus.
Tái định vị mỡ dưới mắt và nhấn mí tự nhiên
Tái định vị mỡ dưới mắt, cấy mỡ (dưới mắt, má trước)
Tái định vị mỡ dưới mắt, cấy mỡ gò má trước
Tái định vị mỡ dưới mắt, hạ mí mắt dưới kép, cấy mỡ gò má trước, cấy mỡ mí mắt trên
Tái định vị mỡ dưới mắt, nhấn mí tự nhiên, mở góc mắt trên,
Tái định vị mỡ mí dưới
Tái định vị mỡ mí dưới, cấy mỡ mí dưới
Tái định vị mỡ mí dưới, nâng cung chân mày
Tái phẫu thuật cắt mí (hạ đường mí)
Tái phẫu thuật cắt mí + Chỉnh hình mắt + Mở rộng góc mắt trong
Tái phẫu thuật cắt mí mắt, hạ thấp đường mí.
Tái phẫu thuật cắt mí mắt, mở rộng góc mắt ngoài, hạ đuôi mắt.
Tái phẫu thuật cắt mí, hạ đường mí, mở rộng góc mắt dưới.
Tái phẫu thuật cắt mí, hạ thấp đường mí
Tái phẫu thuật cắt mí, hạ thấp đường mí.
Tái phẫu thuật cắt mí, mở góc mắt trên
Tái phẫu thuật cắt mí, phục hồi mở góc mắt trong, mở góc mắt trên.
Tái phẫu thuật cắt mí, tái cấu trúc mỡ mí dưới
Tái phẫu thuật cắt mí, tái định vị mỡ mí dưới.
Tái phẫu thuật cắt mí, tái phẫu thuật mở góc mắt trên
Tái phẫu thuật cắt mí, tái phẫu thuật mở rộng góc mắt trong
Tái phẫu thuật chỉnh hình mắt (cắt mí), mở góc mắt trong, mở góc mắt ngoài, mũi (sống mũi, đầu mũi), thu gọn cánh mũi, gò má, cằm trước, phẫu thuật hai hàm, căng chỉ, laser Venus (má, dưới cằm), cấy mỡ (má trước, trán), botox (giữa chân mày, trán)
Tái phẫu thuật chỉnh hình mắt (không rạch)
Tái phẫu thuật chỉnh hình mắt (không rạch), cấy mỡ (mí trên)
Tái phẫu thuật chỉnh hình mắt (không rạch), tái phẫu thuật mở góc mắt trong
Tái phẫu thuật chỉnh hình mắt (không rạch), tái phẫu thuật mở rộng góc mắt sau, mở rộng góc mắt dưới.
Tái phẫu thuật chỉnh hình mắt (rạch mí), mở góc mắt trong
Tái phẫu thuật chỉnh hình mắt (rạch)
Tái phẫu thuật chỉnh hình mắt bằng phương pháp rạch
Tái phẫu thuật chỉnh hình mắt bằng phương pháp rạch + Mở góc mắt trên + Hạ đuôi mắt + Tái phẫu thuật mở rộng góc mắt sau
Tái phẫu thuật chỉnh hình mắt bằng phương pháp rạch + Mở rộng góc mắt trên + Mở rộng đuôi mắt + Hạ đuôi mắt
Tái phẫu thuật chỉnh hình mắt bằng phương pháp rạch, mở góc mắt trong.
Tái phẫu thuật chỉnh hình mắt bằng phương pháp rạch, mở rộng góc mắt trên
Tái phẫu thuật chỉnh hình mắt bằng phương pháp rạch, nâng cung mày
Tái phẫu thuật chỉnh hình mắt không cắt
Tái phẫu thuật chỉnh hình mắt không cắt mí + hạ đuôi mắt + tái phẫu thuật mở rộng góc mắt sau
Tái phẫu thuật chỉnh hình mắt không rạch + mở góc mắt trong
Tái phẫu thuật chỉnh hình mắt nhấn mí tự nhiên, nâng cung chân mày, cắt mí dưới.
Tái phẫu thuật chỉnh hình mắt phương pháp rạch, cấy mỡ mí mắt trên
Tái phẫu thuật chỉnh hình mắt phương pháp rạch, hạ đuôi mắt, cấy mỡ mí mắt trên.
Tái phẫu thuật chỉnh hình mắt phương pháp rạch, hạ đường mí, phục hồi mở rộng góc mắt trong.
Tái phẫu thuật chỉnh hình mắt phương pháp rạch, hạ thấp đường mí.
Tái phẫu thuật chỉnh hình mắt phương pháp rạch, mở rộng góc mắt Popcorn.
Tái phẫu thuật chỉnh hình mắt sụp mí (phương pháp rạch) + Mở góc mắt trong
Tái phẫu thuật chỉnh hình mắt sụp mí đường rạch + Tái phẫu thuật mở rộng góc mắt sau + Tái phẫu thuật mở rộng góc mắt dưới
Tái phẫu thuật chỉnh hình mắt sụp mí đường rạch, hạ thấp đường mí, mở góc mắt trong, mở góc mắt trên.
Tái phẫu thuật chỉnh hình mắt sụp mí phương pháp rạch
Tái phẫu thuật chỉnh hình mắt sụp mí phương pháp rạch + mở rộng góc mắt trên
Tái phẫu thuật chỉnh hình mắt sụp mí phương pháp rạch, mở rộng góc mắt trên
Tái phẫu thuật chỉnh hình sụp mí không cắt mí, hạ thấp đường mí, cấy mỡ bầu mắt.
Tái phẫu thuật chuyển vị mỡ mí mắt dưới
Tái phẫu thuật không cắt mí + Cấy mỡ dưới mắt
Tái phẫu thuật mắt (Phục hồi mở rộng góc mắt ngoài)
Tái phẫu thuật mắt + Cắt mí (phương pháp rạch) + Mở rộng góc mắt ngoài + Hạ mắt xếch
Tái phẫu thuật mắt + Nhấn mí + Mở rộng góc mắt sau
Tái phẫu thuật mắt hai mí (cắt mí) + chỉnh hình dáng mắt
Tái phẫu thuật mắt hai mí (nhấn mí)
Tái phẫu thuật mắt hai mí (nhấn mí), mở góc mắt trong
Tái phẫu thuật mắt hai mí (nhấn mí), nâng trán (cố định bằng chỉ), mũi (sống mũi, đầu mũi), mài xương, chỉnh mũi gồ, tiêm tan filler mũi.
Tái phẫu thuật mắt hai mí (Phương pháp cắt mí + Chỉnh hình dáng mắt)
Tái phẫu thuật mắt hai mí (phương pháp cắt) + Điều chỉnh dáng mắt
Tái phẫu thuật mắt, cắt mí
Tái phẫu thuật mắt, cắt mí (rạch), chỉnh hình mắt (rạch), mở rộng góc mắt trong, mở rộng góc mắt ngoài, hạ đuôi mắt.
Tái phẫu thuật mắt, cắt mí mắt, chỉnh hình mắt phương pháp rạch, mở rộng góc mắt ngoài, mở rộng góc mắt dưới.
Tái phẫu thuật mắt, cắt mí mắt, mở rộng góc mắt ngoài, mở rộng góc mắt trong, hạ đuôi mắt.
Tái phẫu thuật mắt, cắt mí, chỉnh hình dáng mắt (phương pháp rạch)
Tái phẫu thuật mắt, cắt mí, chỉnh hình mắt (phương pháp rạch)
Tái phẫu thuật mắt, cắt mí, chỉnh hình mắt phương pháp rạch, mở rộng góc mắt trong.
Tái phẫu thuật mắt, cắt mí, mở rộng góc mắt trên
Tái phẫu thuật mắt, chỉnh hình dáng mắt, phương pháp rạch
Tái phẫu thuật mắt, hạ xếch.
Tái phẫu thuật mắt, mở rộng góc mắt sau, mở rộng góc mắt dưới
Tái phẫu thuật mắt, nhấn mí tự nhiên
Tái phẫu thuật mắt, nhấn mí tự nhiên, chỉnh hình sụp mí không phẫu thuật, phục hồi khóe mắt trong.
Tái phẫu thuật mắt, nhấn mí tự nhiên, mở rộng góc mắt trong, mở rộng góc mắt dưới.
Tái phẫu thuật mắt, phẫu thuật mí trên
Tái phẫu thuật mắt: Cắt mí, mở rộng góc mắt ngoài.
Tái phẫu thuật mí dưới, cấy mỡ (má trước, rãnh cười), phẫu thuật căng da mặt bán phần.
Tái phẫu thuật mí dưới, nâng cung mày dưới, cấy mỡ (vùng dưới mắt)
Tái phẫu thuật mí mắt (nhấn mí), hạ đuôi mắt, lấy mỡ bọng mắt.
Tái phẫu thuật mí mắt trên + Lấy mỡ mí mắt dưới
Tái phẫu thuật mí mắt trên + mí mắt dưới
Tái phẫu thuật mở rộng góc mắt kép + mí mắt trên
Tái phẫu thuật mũi (mũi lân, mũi dài, mũi rồng)
Tái phẫu thuật mũi (mũi lân, mũi gồ)
Tái phẫu thuật mũi (mũi ngắn, mũi lân, thu gọn cánh mũi, chỉnh sửa trụ mũi)
Tái phẫu thuật mũi (mũi to, mũi lệch, chỉnh sửa trụ mũi)
Tái phẫu thuật mũi (mũi vẹo, mũi dài, chỉnh sửa góc nhân trung)
Tái phẫu thuật mũi (sống mũi, đầu mũi), gọt hàm vuông, hạ gò má, phẫu thuật cằm trước, gọt vỏ xương.
Tái phẫu thuật mũi (sống mũi, đầu mũi), gọt hàm, phẫu thuật cằm, laser Venus.
Tái phẫu thuật mũi (sống mũi, đầu mũi), thu nhỏ xương mũi, mũi gồ, mũi lệch, mũi to, sụn sườn tự thân, Ulthera, Botox V-line.
Tái phẫu thuật mũi (sống mũi, đầu mũi), thu nhỏ xương mũi, thu gọn cánh mũi (phẫu thuật cắt)
Tái phẫu thuật mũi (trung bì mông), hạ cánh mũi
Tái phẫu thuật mũi + Thu nhỏ mũi + Chỉnh sửa mũi ngắn + Chỉnh sửa mũi to
Tái phẫu thuật mũi bằng sụn sườn tự thân (mũi lệch, chỉnh sửa trụ mũi)
Tái phẫu thuật mũi bằng sụn sườn tự thân (mũi lệch, mũi co rút)
Tái phẫu thuật mũi bằng sụn sườn tự thân (mũi lệch, trụ mũi bị lõm)
Tái phẫu thuật mũi bằng sụn sườn tự thân (mũi ngắn, miệng hô)
Tái phẫu thuật mũi bằng sụn sườn tự thân (mũi yên ngựa, mũi lệch)
Tái phẫu thuật mũi bằng sụn sườn tự thân (Tái tạo trụ mũi bị co rút)
Tái phẫu thuật mũi, chỉnh sửa mũi gồ, chỉnh sửa mũi lân.
Tái phẫu thuật mũi, mũi lệch, thu gọn cánh mũi, sụn sườn tự thân
Tái phẫu thuật mũi, nâng mũi chức năng
Tái phẫu thuật mũi, nâng mũi không sụn nhân tạo, chỉnh sửa mũi gồ, chỉnh sửa mũi lệch.
Tái phẫu thuật mũi, sụn sườn tự thân, thu gọn cánh mũi, cuốn mũi dưới, lệch vách ngăn mũi, phẫu thuật van mũi.
Tái phẫu thuật nâng mũi + Chỉnh sửa mũi ngắn
Tái phẫu thuật nâng mũi + nâng mũi thẩm mỹ điều trị viêm mũi
Tái phẫu thuật nâng mũi + Thu gọn cánh mũi
Tái phẫu thuật ngực + Nâng ngực Mentor
Tái phẫu thuật nhấn mí tự nhiên
Tái phẫu thuật nhấn mí tự nhiên, cấy mỡ mí mắt.
Tái phẫu thuật nhấn mí tự nhiên, mở góc mắt trên, mở góc mắt sau, hạ đuôi mắt.
Tái phẫu thuật nhấn mí tự nhiên, mở góc mắt trên.
Tái phẫu thuật nhấn mí tự nhiên, mở rộng góc mắt trên
Tái phẫu thuật nhấn mí tự nhiên, mở rộng góc mắt trên, mở rộng góc mắt ngoài, hạ góc mắt dưới.
Tái phẫu thuật nhấn mí tự nhiên, nâng cung chân mày, cấy mỡ hốc mắt
Tái phẫu thuật nhấn mí tự nhiên, tái định vị mỡ dưới mắt
Tái phẫu thuật nhấn mí tự nhiên, tái phẫu thuật mở góc mắt trong
Tái phẫu thuật nhấn mí tự nhiên, tái phẫu thuật mở góc mắt trong, mở góc mắt ngoài, hạ đuôi mắt
Tái phẫu thuật tái định vị mỡ dưới mắt, cấy mỡ gò má trước
Tái phẫu thuật thu gọn cánh mũi
Tái phẫu thuật thu gọn hàm vuông + tái phẫu thuật thu gọn gò má
Tái phẫu thuật thu gọn hàm vuông + thu gọn gò má + chỉnh hình đầu cằm
Tái sắp xếp mỡ dưới mắt Cấy mỡ dưới mắt
Tái sắp xếp mỡ dưới mắt, cấy mỡ (má trước, rãnh cười)
Tái sắp xếp mỡ dưới mắt, cấy mỡ gò má trước
Tái sắp xếp mỡ dưới mắt, phẫu thuật mí dưới kép
Tái sắp xếp mỡ dưới mắt, thu gọn xương gò má, thu gọn cằm, gọt xương vỏ.
Tái sắp xếp mỡ mí dưới, cắt mí (phương pháp rạch), treo cung chân mày
Tái sắp xếp mỡ mí dưới, cấy mỡ (mí dưới)
Tái sắp xếp mỡ mí dưới, chỉnh hình mắt không phẫu thuật
Tái sắp xếp mỡ mí dưới, phục hồi khóe mắt trong
Tái sắp xếp mỡ mí mắt dưới, cấy mỡ.
Tạo hình đường nét khuôn mặt [3 vùng]
Tạo hình đường nét khuôn mặt [Gò má + Cằm trước]
Tạo hình đường nét khuôn mặt [Hàm vuông + Cằm]
Tạo hình khuôn mặt [Hàm vuông] + AccuSculpt
Tạo hình khuôn mặt bằng miếng độn [Phẫu thuật tạo hình trán]
Tạo hình khuôn mặt nam giới Accusculpt + Botox hàm
Tạo hình mô mềm + Mini lifting
Tạo hình thành bụng
Tạo hình thành bụng mini
Thẩm mỹ mắt + Cắt mí dưới
Thẩm mỹ mắt + Lấy mỡ bọng mắt
Thẩm mỹ mắt nam - Chỉnh hình mắt phương pháp nhấn mí
Thẩm mỹ mắt nam + Chỉnh hình dáng mắt phương pháp cắt
Thẩm mỹ mắt nam phương pháp cắt mí + Phẫu thuật lại mắt
Thẩm mỹ mắt nam: Cắt mí + Chỉnh hình dáng mắt + Mở góc mắt
Thẩm mỹ mắt nam: Chỉnh hình mắt không cắt + Mở rộng góc mắt trong
Thẩm mỹ mắt trung niên
Thẩm mỹ mỡ
Thẩm mỹ mũi, chỉnh sửa mũi rộng (phẫu thuật đục xương)
Thẩm mỹ vùng dưới mắt không phẫu thuật
Thermage FLX 300 shot + Sculptra (gò má trước + rãnh cười + má bên)
Thermage FLX 600 shot + Onda 60KJ
Thói quen khi ngủ của mình
Thu gọn cánh mũi
Thu gọn cánh mũi (phẫu thuật)
Thu gọn cánh mũi kép
Thu gọn cánh mũi, nâng cánh mũi.
Thu gọn đầu mũi, chỉnh sửa góc nhân trung, mài xương, mũi gồ.
Thu gọn gò má + Gọt hàm + AccuSculpt
Thu gọn gò má + gọt hàm + phẫu thuật cằm + Accusculpt (đường viền hàm + nọng cằm) + nâng mũi
Thu gọn gò má + Gọt hàm + Phẫu thuật thẩm mỹ cằm (Thu ngắn chiều dài cằm) + Tái phẫu thuật mũi
Thu gọn gò má + Gọt hàm + Thẩm mỹ đầu cằm + Accusculpt (nọng cằm) + Nâng mũi
Thu gọn gò má + thu gọn hàm + phẫu thuật cằm
Thu gọn gò má, cằm, thu gọn hàm vuông, gọt vỏ xương, mũi (sống mũi, đầu mũi), chỉnh mũi lệch, thu gọn xương mũi, thu gọn đầu mũi to.
Thu gọn hàm + Hạ gò má + Cắt xương chữ V
Thu gọn hàm + Hạ gò má + Chỉnh hình cằm (Combo 3 vùng xương mặt) + Nâng mũi
Thu gọn hàm + Hạ gò má + Phẫu thuật cằm
Thu gọn hàm + hạ gò má + phẫu thuật cằm (phẫu thuật lại)
Thu gọn hàm + Hạ gò má + Tạo hình đầu cằm (Phẫu thuật đường nét khuôn mặt 3 vùng)
Thu gọn hàm + Nâng mũi + AccuSculpt (đường viền hàm)
Thu gọn hàm + phẫu thuật cằm + tái phẫu thuật mũi
Thu gọn hàm + Tái phẫu thuật hạ gò má + Chỉnh hình cằm
Thu gọn hàm + thu gọn gò má
Thu gọn hàm vuông + Phẫu thuật đầu cằm
Thu gọn hàm vuông + Phẫu thuật thẩm mỹ cằm (Cắt xương chữ T)
Thu gọn nhân trung
Thu gọn xương gò má + Gọt hàm + Chỉnh hình cằm + Tái phẫu thuật mũi + Cấy mỡ (trán, má trước)
Thu gọn xương gò má + nâng mũi + Accusculpt
Thu gọn xương gò má + Nâng mũi + Accusculpt (đường viền hàm, nọng cằm) + Cấy mỡ (trán)
Thu gọn xương gò má, thu gọn cằm, gọt xương vỏ, tái phẫu thuật mắt, nhấn mí tự nhiên, chỉnh hình sụp mí không phẫu thuật, mở rộng góc mắt trong, mở rộng góc mắt dưới.
Thu gọn xương gò má, thu gọn hàm vuông, thu gọn cằm
Thu nhỏ chân vòng kiềng_Tháng thứ 6
Thu nhỏ đầu cằm, thu nhỏ hàm vuông
Thu nhỏ gò má
Thu nhỏ gò má + gọt hàm + phẫu thuật cằm + tái phẫu thuật đường nét khuôn mặt
Thu nhỏ gò má, thu nhỏ xương hàm
Thu nhỏ hàm vuông
Thu nhỏ ngực
Thu nhỏ ngực, nâng ngực
Thu nhỏ trán
Thu nhỏ xương gò má + Accusculpt
Thu nhỏ xương gò má Turning + AccuSculpt
Tiêm filler bọng mắt cười
Tiêm filler cằm
Tiêm filler hõm mông
Tiêm filler môi
Tiêm filler môi + botox khóe miệng
Tiêm filler môi, thu gọn nhân trung (bên trong, bên ngoài), phẫu thuật nâng khóe miệng.
Tiêm filler rãnh cười
Tiêm filler thái dương
Tiêm filler trán
Tiêm filler vai
Tiêm filler vai (+ Botox cơ cầu vai)
Tiêm tan mỡ mặt
Tiêm thon gọn Slim Body Fit
Toàn hàm / Toàn bộ / Ghép xương
Toàn hàm/Toàn bộ / Ghép xương | Tiền mê
Toàn hàm/Toàn bộ / Ghép xương | Tiền mê | Cao huyết áp
Toàn hàm/Toàn bộ / Ghép xương | Tiền mê | Cao huyết áp | Tiểu đường
Toàn hàm/Toàn bộ / Ghép xương | Tiền mê | Tiểu đường
Toàn hàm/Toàn bộ / Ghép xương|Tiền mê|Tiểu đường|Aspirin
Toàn hàm/Toàn bộ / Ngủ|Cao huyết áp|Tiểu đường
Toàn hàm/Toàn bộ / Từ 4 cái trở lên / Ghép xương | Tiền mê
Trẻ hóa & Nâng cơ
Treo chân mày, cắt mí dưới kép, cấy mỡ dưới mắt
Treo cung chân mày + Tái định vị mỡ mí dưới
Treo cung mày dưới + Cắt mí dưới
Treo cung mày dưới, cấy mỡ (vùng dưới mắt)
Treo cung mày dưới, chỉnh hình mắt (không rạch), tái sắp xếp mỡ dưới mắt
Treo cung mày, cắt mí trên, cắt mí dưới, cấy mỡ (dưới mắt, gò má trước)
Treo ngực sa trễ, nâng ngực, loại bỏ tuyến vú phụ
Treo ngực sa trễ, phẫu thuật thu nhỏ ngực, thu nhỏ quầng vú
Trước/sau khi thực hiện thủ thuật
Trượt cằm
Ulthera
Ulthera + Dermotoxin
Ulthera + filler môi
Ulthera + InMode
Ulthera Prime + Inmode FX
Ulthera Prime 300 shot + Thermage FLX 300 shot
Ulthera Prime 400 shot + Onda 40KJ
Ulthera Prime 400 shot + Radiesse (rãnh khóe miệng, rãnh cười)
Ulthera Prime 400 shot + Radiesse (rãnh nhăn khóe miệng, rãnh cười)
Ultherapy + Dermotoxin V-line
Ultherapy + InMode + Honey Glow Tox
Ultherapy + Inmode + Tiêm thon gọn khuôn mặt
Ultherapy + Thermage
Ultherapy 400 shot, Rejuran Healer, Lillyied
Ultherapy, Inmode FX+FORMA, Shurink, Virtue RF
Ultherapy, Inmode FX+FORMA, Virtue RF
Venus (dưới cằm), khâu thắt nọng cằm
Vết mổ
Volnewmer
Volnewmer 300 shot + Onda 40KJ
Volnewmer 400 shot + Onda 40KJ
Volnewmer, Shurink Universe
Xương hàm bạnh, cằm
Xương hàm vuông, gò má, cằm, gọt vỏ xương
눈매교정(절개), 뒤트임, 밑트임, 코(콧대, 코끝)재수술, 코뼈축소, 콧볼축소, 사각턱, 광대, 앞턱, 피질절골, 귀족보형물, 풀페이스지방이식, 비너스레이저(볼, 턱밑)
사각턱, 광대, 앞턱, 피질절골, 코(콧대, 코끝)재수술
상악/어금니 부분 / 3개이하 / 뼈이식|수면
상악/어금니 부분 / 3개이하 / 뼈이식|수면|당뇨
Tất cả phòng khám
Allreting Plastic Surgery Clinic
Atop Plastic Surgery Clinic
Beautyblossom Clinic
DA Plastic Surgery Clinic
Hershe Plastic Surgery Clinic
Jayjun Plastic Surgery
Liên Jang Phòng khám phẫu thuật thẩm mỹ
Melon Plastic Surgery
Nana
Nha khoa One Day
Phòng khám phẫu thuật thẩm mỹ Apex
Phòng khám phẫu thuật thẩm mỹ Gangnam Seoyeon
Phòng khám phẫu thuật thẩm mỹ Ollo
Phòng khám phẫu thuật thẩm mỹ Uverse
Phòng khám phẫu thuật thẩm mỹ Wonderful
Thankyou Plastic Surgery Clinic
Very Good Plastic Surgery
Wont Plastic Surgery
Before
After
Atop Plastic Surgery Clinic
Phẫu thuật thẩm mỹ
Hút mỡ mặt + Loại bỏ mỡ má + Căng chỉ + Độn cằm
Before
After
Atop Plastic Surgery Clinic
Phẫu thuật thẩm mỹ
Phẫu thuật thẩm mỹ trung niên) Cắt mí đôi + Lật mi trong
Before
After
Atop Plastic Surgery Clinic
Phẫu thuật thẩm mỹ
Hút mỡ mặt+Loại bỏ mỡ má+Nâng cơ bằng chỉ+Tiêm filler cằm+Botox cằm
Before
After
Atop Plastic Surgery Clinic
Phẫu thuật thẩm mỹ
Hút mỡ mặt+Loại bỏ mỡ má sâu+Nâng chỉ+Botox cằm sần/tuyến nước bọt/cằm
Before
After
Atop Plastic Surgery Clinic
Phẫu thuật thẩm mỹ
Sống mũi (silicone+chỉnh sửa mũi gồ)+Đầu mũi (kéo dài mũi+chỉnh sửa mũi to+sụn vành tai/sụn vách ngăn)
Before
After
Atop Plastic Surgery Clinic
Phẫu thuật thẩm mỹ
Hút mỡ mặt+Loại bỏ mỡ má+Filler cằm+Botox cằm
Before
After
Phòng khám phẫu thuật thẩm mỹ Wonderful
#Nhấn_mí_(luồn_chỉ) #Mở_rộng_góc_mắt_trên
#Không cắt mí (chôn chỉ) #Mở góc mắt trên
Before
After
Phòng khám phẫu thuật thẩm mỹ Wonderful
#cắt_mí_bán_phần #chỉnh_dáng_mắt
#Cắt mí một phần #Chỉnh sửa mí mắt
Before
After
Phòng khám phẫu thuật thẩm mỹ Wonderful
#cắt_mí_bán_phần #chỉnh_hình_mắt #mở_góc_mắt_sau_dưới
#Cắt mí một phần #Chỉnh sửa mắt #Mở rộng góc mắt ngoài và dưới
79
80
81
82
83
Đang xem:
Trang chủ
Tìm kiếm
Trải nghiệm thẩm mỹ
Yêu thích
Tin nhắn
Tôi
Phổ biến
Phẫu thuật
Da liễu
Nha khoa
Botox
Filler