REBEAUTY K-Beauty
Tìm kiếm
Đăng nhập
Đăng ký
Phòng khám
Danh mục
Xem tất cả
Phẫu thuật thẩm mỹ
Da liễu
Nhãn khoa
Nha khoa
Thủ thuật phổ biến
Phẫu thuật thẩm mỹ mắt
Nâng mũi
Nâng cơ
Nâng ngực
Hút mỡ
Phẫu thuật thẩm mỹ
Da liễu
Nhãn khoa
Nha khoa
Đánh giá
REAL
Trước/Sau
Sự kiện
HOT
YouTube
Tạp chí
NEW
Thẩm mỹ ảo
AI
REBEAUTY K-Beauty
Đăng nhập
Đăng ký mới
Phòng khám
Tất cả
Phẫu thuật thẩm mỹ
Da liễu
Nhãn khoa
Nha khoa
Nội dung
Đánh giá
T/S
Sự kiện
YouTube
Tạp chí
AI
Hỗ trợ
Câu hỏi thường gặp
Thông báo
Liên hệ
Đăng nhập MXH
Trước và Sau
Xem sự thay đổi thực tế trước và sau điều trị
Before
After
Phòng khám Phẫu thuật Thẩm mỹ ATOP
整形手術
Hút mỡ mặt+Loại bỏ mỡ má sâu+Tiêm filler cằm+Botox cằm sần/cằm
Before
After
Phòng khám Phẫu thuật Thẩm mỹ ATOP
整形手術
Hút mỡ mặt+Loại bỏ mỡ má sâu+Nâng chỉ
Before
After
Phòng khám Phẫu thuật Thẩm mỹ ATOP
整形手術
Hút mỡ mặt+Loại bỏ mỡ má sâu+Nâng chỉ+Cấy mỡ má trước/rãnh cười
Before
After
Phòng khám Phẫu thuật Thẩm mỹ ATOP
整形手術
Hút mỡ mặt+Loại bỏ mỡ má sâu+Nâng chỉ+Botox cằm
Before
After
Phòng khám Phẫu thuật Thẩm mỹ ATOP
整形手術
Hút mỡ mặt+Loại bỏ mỡ má sâu+Nâng chỉ
Before
After
Phòng khám Phẫu thuật Thẩm mỹ ATOP
整形手術
Hút mỡ mặt+Loại bỏ mỡ má sâu+Nâng chỉ+Botox cằm sần/tuyến nước bọt/cằm
Before
After
Phòng khám Phẫu thuật Thẩm mỹ ATOP
美容整形
Hút mỡ mặt+Loại bỏ bọng má+Tiêm botox cằm
Before
After
Phòng khám Phẫu thuật Thẩm mỹ ATOP
美容整形
Chức năng 2 loại+Sống mũi (silicone)+Đầu mũi (vách ngăn mũi+ghép sụn trượt vành tai)
Before
After
Phòng khám Phẫu thuật Thẩm mỹ ATOP
美容整形
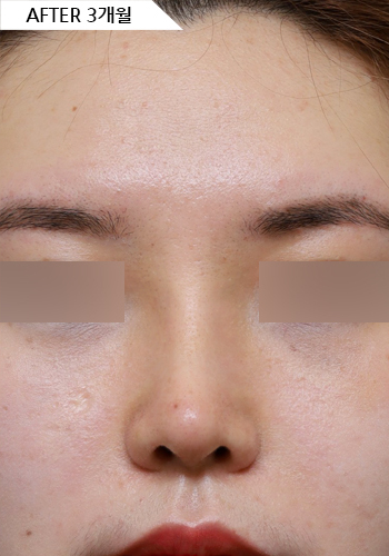
Sống mũi (silicone)+Đầu mũi (kéo dài mũi+chỉnh sửa mũi tròn+sụn vành tai/sụn vách ngăn)
Before
After
Phòng khám Phẫu thuật Thẩm mỹ ATOP
美容整形
Sống mũi (silicone)+Đầu mũi (kéo dài mũi+chỉnh sửa mũi tròn+sụn vành tai/sụn vách ngăn)
Before
After
Phòng khám Phẫu thuật Thẩm mỹ ATOP
美容整形
Cắt mí+Chỉnh sửa mắt+Nâng trán
Before
After
Phòng khám Phẫu thuật Thẩm mỹ ATOP
美容整形
Cấy mỡ dưới mắt/rãnh cười/gò má trước
114
115
116
117
118
Đang xem:
Trang chủ
Tìm kiếm
Yêu thích
Tin nhắn
Tôi
Phổ biến
Phẫu thuật
Da liễu
Nha khoa
Botox
Filler